
Waimāero
Fendalton-Waimairi-Harewood Community Board
Agenda
Notice of Meeting Te Pānui o te Hui:
An ordinary meeting of the Waimāero Fendalton-Waimairi-Harewood Community Board will be held on:
Date: Monday 8 September 2025
Time: 4.30 pm
Venue: Boardroom, Fendalton Service Centre,
Corner Jeffreys and Clyde Roads, Fendalton
Membership Ngā Mema
|
Chairperson Deputy Chairperson Members |
Jason Middlemiss Bridget Williams David Cartwright Linda Chen James Gough Aaron Keown Sam MacDonald Nicola McCormick |
3 September 2025
|
|
Principal Advisor Maryanne Lomax Manager Community Governance Tel: 941 6730 |
Meeting Advisor Aidan Kimberley Community Board Advisor Tel: 941 6566 |
Website: www.ccc.govt.nz
![]() |

Part A Matters Requiring a Council Decision
Part B Reports for Information
Part C Decisions Under Delegation
TABLE OF CONTENTS NGĀ IHIRANGI
Karakia Tīmatanga................................................................................................... 4
C 1. Apologies Ngā Whakapāha.......................................................................... 4
B 2. Declarations of Interest Ngā Whakapuaki Aronga........................................... 4
C 3. Confirmation of Previous Minutes Te Whakaāe o te hui o mua.......................... 4
B 4. Public Forum Te Huinga Whānui.................................................................. 4
B 5. Deputations by Appointment Ngā Huinga Whakaritenga................................. 4
B 6. Presentation of Petitions Ngā Pākikitanga.................................................... 4
Staff Reports
C 7. Dedication of Local Purpose Reserve (Road) as Road-Kildare Street Belfast..... 19
C 8. Urban Forest Planting Plan for Avonhead Park............................................. 27
C 9. Proposed Lane Names - 40B Johns Road...................................................... 34
C 10. Bryndwr Road Street Renewal................................................................... 38
C 11. Easement Over Recreation Reserve - 82 Glenturret Drive............................... 66
C 12. Groynes Boat Hire- Proposed New Licence- The Groynes............................... 72
C 13. Waimāero Fendalton-Waimairi-Harewood Summer with your Neighbours 2025-26............................................................................................................. 82
C 14. Memorial Avenue Intersections.................................................................. 90
C 15. Englefield Reserve Nature Play Space Renewal............................................ 95
C 16. Fendalton-Waimairi-Harewood 2025-2026 Discretionary Response Fund Application Avonhead Community Trust.................................................................... 104
C 17. Waimāero Fendalton-Waimairi-Harewood Community Board Area Report - September 2025..................................................................................... 107
B 18. Elected Members’ Information Exchange Te Whakawhiti Whakaaro o Te Kāhui Amorangi............................................................................................................ 123
Karakia Whakamutunga
Actions Register Ngā Mahinga Tuwhera
|
Whakataka te hau ki te uru Whakataka te hau ki te tonga Kia mākinakina ki uta Kia mātaratara ki tai E hī ake ana te atakura He tio, he huka, he hauhūnga Tīhei Mauri Ora |
Cease the winds from the west |
1. Apologies Ngā Whakapāha
Apologies will be recorded at the meeting.
2. Declarations of Interest Ngā Whakapuaki Aronga
Members are reminded of the need to be vigilant and to stand aside from decision-making when a conflict arises between their role as an elected representative and any private or other external interest they might have.
3. Confirmation of Previous Minutes Te Whakaāe o te hui o mua
That the minutes of the Waimāero Fendalton-Waimairi-Harewood Community Board meeting held on Monday, 11 August 2025 be confirmed (refer page 5).
4. Public Forum Te Huinga Whānui
A period of up to 30 minutes will be available for people to speak for up to five minutes on any issue that is not the subject of a separate hearings process.
Public Forum presentations will be recorded in the meeting minutes
5. Deputations by Appointment Ngā Huinga Whakaritenga
Deputations may be heard on a matter or matters covered by a report on this agenda and approved by the Chairperson.
Deputations will be recorded in the meeting minutes.
6. Presentation of Petitions Ngā Pākikitanga
There were no petitions received at the time the agenda was prepared.
To present to the Community Board, refer to the Participating in decision-making webpage or contact the meeting advisor listed on the front of this agenda.
Waimāero
Fendalton-Waimairi-Harewood Community Board
Open Minutes
Date: Monday 11 August 2025
Time: 4.35 pm
Venue: Boardroom, Fendalton Service
Centre,
Corner Jeffreys and Clyde Roads, Fendalton
Present
|
Chairperson Deputy Chairperson Members |
Jason Middlemiss Bridget Williams David Cartwright (via audio/visual link) Linda Chen (via audio/visual link) Aaron Keown Sam MacDonald Nicola McCormick |
|
|
Principal Advisor Maryanne Lomax Manager Community Governance Tel: 941 6730 |
Meeting Advisor Aidan Kimberley Community Board Advisor Tel: 941 6566 |
Website: www.ccc.govt.nz
Part A Matters Requiring a Council Decision
Part B Reports for Information
Part C Decisions Under Delegation
Karakia Tīmatanga
The agenda was dealt with in the following order.
1. Apologies Ngā Whakapāha
Part C
|
Community Board Resolved FWHB/2025/00032 That the apology from James Gough for absence be accepted. Bridget Williams/Nicola McCormick Carried |
2. Declarations of Interest Ngā Whakapuaki Aronga
Part B
There were no declarations of interest recorded.
3. Confirmation of Previous Minutes Te Whakaāe o te hui o mua
Part C
|
Community Board Resolved FWHB/2025/00033 That the minutes of the Waimāero Fendalton-Waimairi-Harewood Community Board meeting held on Monday, 7 July 2025 be confirmed. Jason Middlemiss/Aaron Keown Carried |
4. Public Forum Te Huinga Whānui
Part B
There were no public forum presentations at this meeting.
5. Deputations by Appointment Ngā Huinga Whakaritenga
Part B
|
5.1 |
Bishopdale Tennis Club Gareth Robb and Paul Morris spoke on behalf of the Bishopdale Tennis Club regarding item 7 – Bishopdale Tennis Club Padel Court Application. |
|
|
Attachments a Presentation - Community Benefits of Padel |
6. Presentation of Petitions Ngā Pākikitanga
Part B
There was no presentation of petitions.
|
7. Bishopdale Tennis Club Padel Court Application |
|
|
|
Community Board Resolved FWHB/2025/00034 Part C That the Waimāero Fendalton-Waimairi-Harewood Community Board: 1. Receives the information in the Bishopdale Tennis Club Padel Court Application Report. 2. Approve the construction of a new padel Court, including the relocation of an existing coaching shed and storage shed to accommodate the new court as shown in the plan in Attachment A, Drawing A1.03. 3. Approve the removal and replacement of four trees as shown in the plan in Attachment A, Drawing A1.02 and A1.03. 4. Approve variation to the permitted use in the existing lease to include padel. 5. Notes that approval is subject to the Bishopdale Tennis Club meeting all regulatory requirements including the Building Act 1991 and the Resource Management Act 1991. 6. Notes that the decisions in this report are of low significance in relation to the Christchurch City Council’s Significance and Engagement Policy 2019. The level of significance was determined by the small number of neighbouring properties affected and the minimal cost to the Council. 7. Requests that the Manager Property Consultancy do all things necessary and make any decisions at his sole discretion that are consistent with the intent of this report to implement the resolutions above including completing negotiations for, and administer, the terms and conditions of the variation. Aaron Keown/David Cartwright Carried |
Sam MacDonald left the meeting at 4:47 pm.
|
8. 23 Holmwood Rd - Road Stopping Application |
|
|
|
Community Board Resolved FWHB/2025/00035 Part C That the Waimāero Fendalton-Waimairi-Harewood Community Board: 1. Receives the information in the 23 Holmwood Rd - Road Stopping Application Report. 2. Notes that the decision in this report is assessed as low significance based on the Christchurch City Council’s Significance and Engagement Policy. 3. Notes that the proposed Road Stopping details have been assessed and approved by Transport staff. 4. Resolve pursuant to Sections 116(1), of the Public Works Act 1981 to stop and sell to the adjoining owners, Annabel and Glen Crozier, that parcel of land shown as Section 1 in Attachment A to this report containing 49m2, at market value, and to amalgamate that parcel of land with the owner’s adjoining land contained in Record of Title 1078200. 5. Authorises the Manager Property Consultancy under delegated authority to undertake all actions, negotiations and to conclude the agreements necessary to facilitate the above on terms and conditions acceptable to him at his sole discretion, and in doing so make any decisions necessary to give effect to this. Aaron Keown/Nicola McCormick Carried |
Sam MacDonald returned to the meeting at 4:50 pm during consideration of item 9.
|
9. Halifax Reserve play space renewal and Urban Forest plan |
|
|
|
Community Board Comment 1. The Community Board deferred making a decision on this item to allow more time to consider alternative play equipment options. |
|
|
Community Board Resolved FWHB/2025/00036 Part C That the Waimāero Fendalton-Waimairi-Harewood Community Board: 1. Receives the information in the Halifax Reserve play space renewal and Urban Forest plan Report. 2. Notes that the decisions in this report are of low significance in relation to the Christchurch City Council’s Significance and Engagement Policy 2019. The level of significance was determined by the low number of people affected and the low level of impact on Council’s functions. 3. Leaves the report to lie on the table and requests staff to work with the Board on alternative play equipment options, with the report to come back for decision to the September Board meeting. Jason Middlemiss/Sam MacDonald Carried |
|
10. Hyde Park play space renewal- design approval |
|
|
|
Community Board Resolved FWHB/2025/00037 Part C That the Waimāero Fendalton-Waimairi-Harewood Community Board: 1. Receives the information in the Hyde Park play space renewal- design approval Report. 2. Notes that the decision in this report is assessed as low significance based on the Christchurch City Council’s Significance and Engagement Policy. The level of significance was determined by the low level of impact on local residents and the like-for-like nature of the project. 3. Approves the Hyde Park play space renewal plan set out in attachment A to the report in the agenda. Nicola McCormick/Sam MacDonald Carried |
|
11. Waimāero Fendalton-Waimairi-Harewood 2025/26 Strengthening Communities Fund Applications for Consideration |
|||||||||||||||||||||||||||||||||||||||||||||||||||||||||||||||||||||||||||||||||||||||||||||||||||||||||||||||||||||||||||||||||||||||||||||
|
|
Community Board Resolved FWHB/2025/00038 Part C That the Waimāero Fendalton-Waimairi-Harewood Community Board: 1. Receives the information in the Waimāero Fendalton-Waimairi-Harewood 2025/26 Strengthening Communities Fund Applications for Consideration Report. 2. Notes that the decisions in this report are assessed at low significance based on the Christchurch City Council’s Significance and Engagement Policy. 3. Approves the 2025/26 Strengthening Communities Fund grants outlined in the following schedule:
4. Approves the transfer of $112,854 to the 2025/26 Discretionary Response Fund. Jason Middlemiss/Aaron Keown Carried |
||||||||||||||||||||||||||||||||||||||||||||||||||||||||||||||||||||||||||||||||||||||||||||||||||||||||||||||||||||||||||||||||||||||||||||
|
12. 2025/26 Fendalton-Waimairi-Harewood Discretionary Response Fund - Board Projects |
|
|
|
Community Board Resolved FWHB/2025/00039 Part C That the Waimāero Fendalton-Waimairi-Harewood Community Board: 1. Receives the information in the 2025/26 Fendalton-Waimairi-Harewood Discretionary Response Fund - Board Projects Report. 2. Notes that the decisions in this report are assessed as low significance based on the Christchurch City Council’s Significance and Engagement Policy. 3. Allocates $12,000 from its 2025/26 Discretionary Response Fund to establish the 2025/26 Fendalton-Waimairi-Harewood Youth Development Fund. 4. Allocates $8,000 from its 2025/26 Discretionary Response Fund towards the delivery of Celebrate Bishopdale 2025. 5. Allocates $3,500 from its 2025/26 Discretionary Response Fund towards Summer with your Neighbours 2025/26. 6. Allocates $6,000 from its 2025/26 Discretionary Response Fund towards Youth Activities and Events. 7. Allocates $2,000 from its 2025/26 Discretionary Response Fund towards Community Liaison and Events. 8. Allocates $2,500 from its 2025/26 Discretionary Response Fund towards hosting a Youth Achievement Event. 9. Allocates $3,750 from its 2025/26 Discretionary Response Fund towards the Garden Pride Awards 2026. Bridget Williams/David Cartwright Carried |
|
13. Waimāero Fendalton-Waimairi-Harewood 2025/26 Discretionary Response Fund Applications - St Mark's Presbyterian Church and St Christopher's Anglican Church |
|
|
|
Community Board Comment 1. The Community Board decided to grant $2,000 towards the security cameras at St Christopher’s Church, an increase of $500 from the officer recommendation. |
|
|
Officer Recommendations Ngā Tūtohu That the Waimāero Fendalton-Waimairi-Harewood Community Board: 1. Receives the information in the Waimāero Fendalton-Waimairi-Harewood 2025/26 Discretionary Response Fund Applications - St Mark's Presbyterian Church and St Christopher's Anglican Church Report. 2. Notes that the decisions in this report are assessed as low significance based on the Christchurch City Council’s Significance and Engagement Policy. 3. Approves a grant of $4,000 from its 2025/26 Discretionary Response Fund to St Mark's Presbyterian Church towards new chairs and a handrail. 4. Approves a grant of $1,500 from its 2025/26 Discretionary Response Fund to St Christopher's Anglican Church towards security cameras. |
|
|
Community Board Resolved FWHB/2025/00040 Part C That the Waimāero Fendalton-Waimairi-Harewood Community Board: 1. Receives the information in the Waimāero Fendalton-Waimairi-Harewood 2025/26 Discretionary Response Fund Applications - St Mark's Presbyterian Church and St Christopher's Anglican Church Report. 2. Notes that the decisions in this report are assessed as low significance based on the Christchurch City Council’s Significance and Engagement Policy. 3. Approves a grant of $4,000 from its 2025/26 Discretionary Response Fund to St Mark's Presbyterian Church towards new chairs and a handrail. 4. Approves a grant of $2,000 from its 2025/26 Discretionary Response Fund to St Christopher's Anglican Church towards security cameras. Sam MacDonald/Nicola McCormick Carried |
|
14. Waimāero Fendalton-Waimairi-Harewood Community Board Area Report - August 2025 |
|
|
|
Community Board Resolved FWHB/2025/00041 Part B That the Waimāero Fendalton-Waimairi-Harewood Community Board: 1. Receives the information in the Waimāero Fendalton-Waimairi-Harewood Community Board Area Report - August 2025. Jason Middlemiss/David Cartwright Carried |
15. Elected Members’ Information Exchange Te Whakawhiti Whakaaro o Te Kāhui Amorangi
Part B
|
Members exchanged information on matters of interest to the Board. |
Karakia Whakamutunga
Meeting concluded at 5.14pm.
CONFIRMED THIS 8TH DAY OF SEPTEMBER 2025.
Jason Middlemiss
Chairperson
1. Purpose and Origin of the Report Te Pūtake Pūrongo
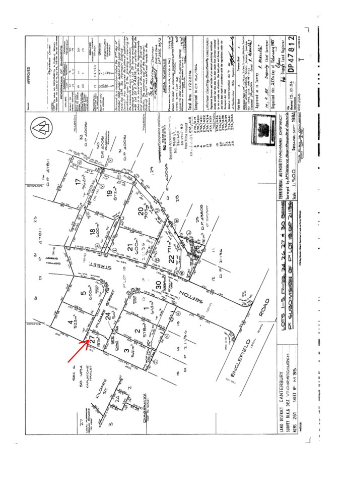
1.1 The purpose of this report is to seek a resolution under Section 111 of the Reserves Act 1977 to dedicate the Local Purpose Reserve (Road), described as Lot 27 DP 47812, as road.
1.2 For many years, Kildare Street in Belfast was separated into two sections, with an undeveloped lot (Lot 27 DP 47182) in the middle. That lot was designated as Local Purpose Reserve (Road) to allow for the future completion of Kildare Street. The surrounding land has now been subdivided under resource consent RMA/2022/1565 which required Lot 27 DP 47812 to be formed as road and vested in Council.
1.3 The road is now formed over the Local Purpose Reserve (Road) and therefore requires dedication as a road.
2. Officer Recommendations Ngā Tūtohu
That the Waimāero Fendalton-Waimairi-Harewood Community Board:
1. Receives the information in the Dedication of Local Purpose Reserve (Road) as Road-Kildare Street Belfast Report.
2. Notes that the decision in this report is assessed as low significance based on the Christchurch City Council’s Significance and Engagement Policy.
3. Resolves pursuant to Section 111 of the Reserves Act 1977 to dedicate the Local Purpose Reserve (Road) containing 157m² described as Lot 27 DP 47812 as road.
4. Authorises the Manager Property Consultancy to take all steps necessary to complete all necessary documentation to conclude the dedication of Lot 27 DP 47812 as road.
3. Executive Summary Te Whakarāpopoto Matua
3.2 Subdivision of the vacant land has meant that Kildare Street has now been formed into a through-road, utilising land currently designated as Local Purpose Reserve (Road), but the Local Purpose Reserve (Road) has not yet been designated as legal road.
3.3 It is now necessary to legalise the Local Purpose Reserve (Road) as road.
3.4 The recommendation in this report, if adopted, will allow for the legalisation of the Local Purpose Reserve (Road) as road.
4. Background/Context Te Horopaki
4.1 Kildare Street has progressively been vested as Street initially by way of a cul de sac off Connemara Drive Belfast as subdivisions have been undertaken. Attachment A
4.2 In 1985 a subdivision was undertaken off Englefield Road Belfast which created -30 sections (plan shown in Attachment B) – along with Sefton Street and a cul de sac off this being Kildare Street East.
4.3 At the end of this cul de sac was lot 27 which vested in Waimairi District Council as Local Purpose Reserve (Road) to separate Kildare Street East and vacant land.
4.4 In 2022 resource consent RMA/2022/1565 was granted for the development of the vacant land to the west of the Local Purpose Reserve (Road), shown in Attachment C, which required the Local Purpose Reserve (Road) to be formed to enable Kildare Street to be a through Road. Attachment D shows a photo of the site as it was prior to the road being constructed, and a recent photo showing the newly formed road.
4.5 The adoption of the resolution in this report will allow the legalisation of the Local Purpose Reserve (Road)as road.
Options Considered Ngā Kōwhiringa Whaiwhakaaro
4.6 The following reasonably practicable options were considered and are assessed in this report:
4.6.1 Option 1: Recommended. Dedicate the Local Purpose Reserve (Road) as road.
4.7 The following option was considered but ruled out:
4.7.1 Option Description Status Quo – Do nothing
4.7.2 Option Advantage: There is no advantage.
4.7.3 Option Disadvantage:
· Council is legally bound to declare the Local Purpose Reserve (Road) as road.
· Would create a reputational risk as there is a resource consent which states that the land is to be road
Options Descriptions Ngā Kōwhiringa
4.8 Preferred Option: Option 1: Dedicate the Land as Road.
4.8.1 Option Description: Undertake the process to legalise the land as road.
4.8.2 Option Advantages
· Compliance with the resource consent.
· Road has been formed therefore no reputational risk
4.8.3 Option Disadvantages
· No disadvantages.
Analysis Criteria Ngā Paearu Wetekina
4.9 Not required.
5. Financial Implications Ngā Hīraunga Rauemi
Capex/Opex Ngā Utu Whakahaere
|
|
Status Quo |
Recommended Option |
|
Cost to Implement |
$0 |
$1500 |
|
Maintenance/Ongoing Costs |
Minimum given area 157m2 |
Minimum given area 157m2 |
|
Funding Source |
Operational |
Operational |
|
Funding Availability |
Current budget |
Current budget |
|
Impact on Rates |
nil |
nil |
5.1 The area of the Local Purpose Reserve (Road) is 157m2 with minimum if any impact on overall transport budget.
6. Considerations Ngā Whai Whakaaro
Risks and Mitigations Ngā Mōrearea me ngā Whakamātautau
6.1 The decision has no risk or mitigation with more risk if Council does not undertake the legalisation.
Legal Considerations Ngā Hīraunga ā-Ture
6.2 Statutory and/or delegated authority to undertake proposals in the report:
6.2.1 Section 111 of the reserves act gives Council the authority to pass a resolution and then lodge this with the Registrar-General of Land.
6.3 Other Legal Implications:
6.3.1 Christchurch City Council is the registered owner of the land by way of successive Local Authority re-organisations for Waimairi County Council to Waimairi District Council to Christchurch City Council.
6.3.2 There is no other legal context, issue, or implication relevant to this decision.
Strategy and Policy Considerations Te Whai Kaupapa here
6.4 The required decision:
6.4.1 Aligns with the Christchurch City Council’s Strategic Framework.
6.4.2 Is assessed as low significance based on the Christchurch City Council’s Significance and Engagement Policy. The level of significance was determined by assessing the impact of dedicating the land as road on the public and budgets.
6.4.3 Is consistent with Council’s Plans and Policies. Manage ratepayers’ money wisely by delivering quality core services to the whole community and addressing the issues that are important to our residents.
6.5 This report supports the Council's Long Term Plan (2024 - 2034):
6.6 Transport
6.6.1 Activity: Transport
· Level of Service: 10.5.42 Increase the infrastructure provision for active and public modes - >= 635 kilometres (total combined length)
· Level of Service: 16.0.2 Improve roadway condition, to an appropriate national standard, measured by smooth travel exposure (STE)(DIA 2) - >=75% of the sealed local road network meets the appropriate national standard
Community Impacts and Views Ngā Mariu ā-Hāpori
6.7 The decision in this report enables a requirement of resource consent RMA/2022/1565 which would have addressed all community impacts and views.
6.8 The decision affects the following wards/Community Board areas:
6.8.1 Waimāero Fendalton-Waimairi-Harewood Community Board.
6.9 The report is being presented to this board for their consideration.
Impact on Mana Whenua Ngā Whai Take Mana Whenua
6.10 The decision does not involve a significant decision in relation to ancestral land, a body of water or other elements of intrinsic value, therefore this decision does not specifically impact Mana Whenua, their culture, and traditions.
6.11 The decision does not involve a matter of interest to Mana Whenua and will not impact on our agreed partnership priorities with Ngā Papatipu Rūnanga.
6.12 The decision is an enabling one which will legalise land which is currently Local Purpose Reserve Road which has been formed as road following an adjacent subdivision.
Climate Change Impact Considerations Ngā Whai Whakaaro mā te Āhuarangi
6.15 The proposals in this report are unlikely to contribute significantly to adaptation to the impacts of climate change or emissions reductions.
6.16 The road is already formed and will provide a through road rather than two cul de sacs.
7. Next Steps Ngā Mahinga ā-muri
7.1 Prepare a gazette notice for publication.
Attachments Ngā Tāpirihanga
|
No. |
Title |
Reference |
Page |
|
a ⇩ |
Local Purpose Reserve (road) Kildare Street |
25/1037553 |
23 |
|
b ⇩ |
Plan of 1985 Subdivision |
25/627589 |
24 |
|
c ⇩ |
2022 Subdivision Plan |
25/629889 |
25 |
|
d ⇩ |
Historic Street Views of Kildare Street from Sefton Street |
25/651618 |
26 |
In addition to the attached documents, the following background information is available:
|
Document Name – Location / File Link |
|
Not applicable
|
Signatories Ngā Kaiwaitohu
|
Author |
Colin Windleborn - Property Consultant |
|
Approved By |
Angus Smith - Manager Property Consultancy Andy Milne - Team Leader Asset Planning Lynette Ellis - Head of Transport & Waste Management |
|
Reference Te Tohutoro: |
25/1310521 |
|
Responsible Officer(s) Te Pou Matua: |
Toby Chapman (Urban Forest Manager) |
|
Accountable ELT Member Pouwhakarae: |
Andrew Rutledge, General Manager Citizens and Community |
1. Purpose and Origin of the Report Te Pūtake Pūrongo
1.1 The purpose of this report is to seek approval for the planting of new trees within Avonhead Park using the attached tree planting plan.
1.2 The report is in response to the adoption of the Urban Forest Plan which seeks to increase canopy cover across the city by 40%.
2. Officer Recommendations Ngā Tūtohu
That the Waimāero Fendalton-Waimairi-Harewood Community Board:
1. Receives the information in the Urban Forest Planting Plan for Avonhead Park Report.
2. Notes that the decision in this report is assessed as low significance based on the Christchurch City Council’s Significance and Engagement Policy.
3. Approves the planting of trees within Avonhead Park in alignment with the updated planting plan (Attachment A to the report), which has been updated based on community feedback.
3. Executive Summary Te Whakarāpopoto Matua
3.1 The Urban Forest Plan was adopted in 2023 and includes an objective of increasing canopy cover within our parks from 23% to 40% by 2070. To meet this objective, Council has implemented an Urban Forest Tree Planting program which requires trees to be planted by 2040, so they grow large enough to meet the canopy cover target by 2070.
3.2 As part of the Urban Forest Tree Planting program, staff developed a plan to plant new trees in Avonhead Park.
3.3 The plan has been updated to reflect and mitigate concerns shared during and after the consultation period.
3.4 All plantings will follow our general guidelines for planting including the use of recession planes to assist in determining the size and location of trees. The recession plane modelling used to develop the planting plan is the same as used for building new residential home.
4. Background/Context Te Horopaki
4.1 A planting plan was developed for Avonhead Park as part of the Urban Forest Tree Planting program with an emphasis on increasing canopy cover both within the reserve and within the wider area.
4.2 Avonhead Park is located in a low canopy area making planting in these areas a priority for Council and the Urban Forest Plan.
4.3 The planting plan proposes to plant 277 new trees which will increase the canopy cover in Avonhead Park from 15% to 29% once they reach maturity, in approximately 30 years.
4.4 The attached plan (attachment A) shows the proposal for the planting and what modelling estimates it to look like once the trees have reached maturity:
4.5 The feedback received was mixed, while 16 supported or somewhat supported the plan six did not and three were unsure. Concerns shared by submitters focused on the placement of trees along the eastern edge near residential properties (near Hatfield Place and Arundel Gate), the impact of debris (dropping leaves) on those properties, and the impact of some of the proposed trees on access to and use of sports fields.
4.6 After the consultation concluded staff met with several community members and the football club onsite to discuss concerns further. As a result, the plan has been amended to mitigate those concerns.
4.7 Staff made the following changes to the plan
4.7.1 Removal of 16 proposed trees along the eastern edge between 26 Hatfield Place and 9 Arundel Gate.
4.7.2 Removal of 25 proposed trees from the centre of the park to allow space for additional junior fields.
4.9 The plan has been developed using a recession plane to help reduce shading impact. While we cannot avoid shading all together, this model does assist in ensuring it is managed to the same extent as would occur if a resident’s neighbour was constructing a new building.
Options Considered Ngā Kōwhiringa Whaiwhakaaro
4.10 The following reasonably practicable options were considered and are assessed in this report:
4.10.1 Approve the updated Avonhead Park Planting Plan and implementation.
4.10.2 Decline the updated Avonhead Park Planting Plan.
4.10.3 Approve the plan that was consulted on (with no amendments).
4.11 The following options were considered but ruled out:
4.11.1 Reconsult on updated plan – as the plan has been changed to reflect community concerns and desires, and those changes have little impact on the overall plan, staff do not feel this is necessary.
Options Descriptions Ngā Kōwhiringa
4.12 Preferred Option: Approve the updated Avonhead Park Planting Plan and implementation.
4.12.1 Option Description: Approve the updated plan attached.
4.12.2 Option Advantages
· Supports the Urban Forest Plan objectives and targets by increasing canopy cover in Avonhead Park to 29% once trees reach maturity.
· Local community gain some of the many benefits trees provide.
· Community feedback is reflected in the plan showing that Council has taken on board their views and preferences.
4.12.3 Option Disadvantages
· Some may see the planting of trees presents a loss of open space.
4.13 Decline the updated Avonhead Park Planting Plan.
4.13.1 Option Description: Decline the plan and require no trees to be planted.
4.13.2 Option Advantages
· Open space within the park would be retained
· Council would save costs that are associated with the planting.
4.13.3 Option Disadvantages
· The local area will be deprived of the benefits that trees provide.
4.14 Approve the plan that was consulted on (with no amendments).
4.14.1 Option Description: Approve the original plan consulted on.
4.14.2 Option Advantages
· Local community gain some of the many benefits trees provide.
4.14.3 Option Disadvantages
· Does not reflect the future playing fields configuration sports clubs will need.
· Does not reflect community feedback and preferences.
Analysis Criteria Ngā Paearu Wetekina
4.15 Alignment with the Urban Forest Plan.
5. Financial Implications Ngā Hīraunga Rauemi
Capex/Opex Ngā Utu Whakahaere
|
|
Recommended Option – Approve updated plan |
Option 2 – Decline the updated plan |
Option 3 – Approve original plan (consulted on) |
|
Cost to Implement |
$140K (this covers the planting and seven years of maintenance |
$0 |
$155K (this covers the planting and seven years of maintenance |
|
Maintenance/Ongoing Costs |
Included in implementation costs |
NA |
Nil |
|
Funding Source |
Better off funding budget |
NA |
Better off funding budget |
|
Funding Availability |
Existing |
NA |
Existing |
|
Impact on Rates |
Nil |
NA |
Nil |
6. Considerations Ngā Whai Whakaaro
Risks and Mitigations Ngā Mōrearea me ngā Whakamātautau
Legal Considerations Ngā Hīraunga ā-Ture
6.2 Statutory and/or delegated authority to undertake proposals in the report:
6.3 Other Legal Implications:
6.3.1 There is no legal context, issue, or implication relevant to this decision.
Strategy and Policy Considerations Te Whai Kaupapa here
6.4 The required decision:
6.4.1 Aligns with the Christchurch City Council’s Strategic Framework with a particular focus on a green, liveable city.
6.4.2 Is assessed as low significance based on the Christchurch City Council’s Significance and Engagement Policy. The level of significance was determined by assessing the impact the decision will have on the city which is low.
6.4.3 Is consistent with Council’s Plans and Policies. The planting plan forms a key component of the implementation of the Councils Urban Forest Plan.
6.5 This report supports the Council's Long Term Plan (2024 - 2034):
6.6 Parks, Heritage and Coastal Environment
6.6.1 Activity: Parks and Foreshore
· Level of Service: 6.8.2.1 Increasing tree canopy in Parks - A net increase in total number of trees is achieved (1:2 replacement policy), with a minimum of 50% of the trees being medium to very large species
Community Impacts and Views Ngā Mariu ā-Hāpori
6.7 Consultation started on 8 May and ran until 26 May.
6.8 An email was sent to three key stakeholders: Mainland Football, Canterbury Baseball and Kids First. An automated email was also sent to 79 subscribers.
6.9 Consultation details including links to the project information shared on the Kōrero mai | Let’s Talk webpage was advertised via:
6.9.1 Social media on local community Facebook pages
6.9.2 Letter box delivery to neighbouring properties
6.9.3 Signage at park entrances
6.10 The Kōrero mai | Let’s talk Avonhead Park tree planting page had 367 views throughout the consultation period.
Summary of Submissions Ngā Tāpaetanga
6.11 Submissions were made by two recognised organisations and 23 individuals. A full table of submission feedback is available on Kōrero mai | Let’s talk.
6.12 Submitters were asked how important certain aspects were in the park, what aspects were concerning going forward with the park and whether they felt we got this tree planting plan right.
6.13 Seven submitters felt we had got the tree planting plan right, nine submitters felt we had somewhat got the plan right, six didn’t feel we got the plan right and three submitters didn’t know / weren’t sure.
6.14 Submitters were asked to rate the importance of various aspects when increasing the tree cover in this park. The top three aspects rated important were: trees attracting birds and insects (21), native trees (17) and trees with autumn colouring (15).
6.15 Submitters were asked whether they were concerned about various aspects when increasing the tree cover in this park. Submitters were able to select more than one concern. Submitters were concerned about too much shade (13), loss of open spaces (11) and debris like leaves dropping and hazards like branches falling (9).
6.16 Submitters were also invited to provide additional feedback. Feedback shared concern about maintenance of new and existing trees, maintenance of the riparian planting along the stream, and the footpaths.
6.17 Out of scope requests included removal of the existing blue gums at the northern end, and more rubbish bins and formal paths throughout the park.
6.18 A quick poll that was conducted on the Let’s Talk webpage to reduce barriers to participate. 15 5-star ratings, one 4-star ratings and six 1-star ratings were received.
Impact on Mana Whenua Ngā Whai Take Mana Whenua
6.19 The decision does not involve a significant decision in relation to ancestral land, a body of water or other elements of intrinsic value, therefore this decision does not specifically impact Mana Whenua, their culture, and traditions.
6.21 The decision does not involve a matter of interest to Mana Whenua and will not impact on our agreed partnership priorities with Ngā Papatipu Rūnanga.
Climate Change Impact Considerations Ngā Whai Whakaaro mā te Āhuarangi
6.22 The decision in this report is likely to:
6.22.1 Contribute positively to adaptation to the impacts of climate change.
6.22.2 Contribute positively to emissions reductions.
7. Next Steps Ngā Mahinga ā-muri
7.1 If the updated plan or the original plan is approved, staff will proceed with sourcing trees and schedule the park for planting.
7.2 If the Community Board decline the plan no further action will be taken.
Attachments Ngā Tāpirihanga
|
No. |
Title |
Reference |
Page |
|
a ⇩ |
Urban Forest updated tree planting plan for Avonhead Park |
25/1468066 |
33 |
In addition to the attached documents, the following background information is available:
|
Document Name – Location / File Link |
|
Not applicable
|
Signatories Ngā Kaiwaitohu
|
Author |
Toby Chapman - Manager Urban Forest |
|
Approved By |
Rupert Bool - Head of Parks |
|
Reference Te Tohutoro: |
25/707524 |
|
Responsible Officer(s) Te Pou Matua: |
Sean Ward, Team Leader Planning |
|
Accountable ELT Member Pouwhakarae: |
John Higgins, General Manager Strategy, Planning & Regulatory Services |
1. Purpose and Origin of the Report Te Pūtake Pūrongo
1.1 The purpose of this report is for the Waimāero Fendalton-Waimairi-Harewood Community Board to approve the proposed lane names at 40B Johns Road.
1.2 The report is staff-generated resulting from a naming request received from the developer.
2. Officer Recommendations Ngā Tūtohu
That the Waimāero Fendalton-Waimairi-Harewood Community Board:
1. Receives the information in the Proposed Lane Names - 40B Johns Road Report.
2. Notes that the decision in this report is assessed as low significance based on the Christchurch City Council’s Significance and Engagement Policy.
3. Approves the following new road names for 40B Johns Road (RMA/2024/1548)
a. Lane 1 - Devonvale Lane
b. Lane 2 - Golden Lane
3. Detail Te Whakamahuki
Introduction Te Whakatkinga
3.1 A road naming request has been submitted by the developer. Preferred names and alternative names have been put forward for the lanes.
3.2 The recommended road names have been checked against existing road names in Christchurch and bordering districts, for duplication, alternative spelling, or other similarities in spelling or pronunciation to avoid the potential for confusion. The proposed names are considered sufficiently different to existing road names.
3.3 The recommended road names have been checked against the Council’s Naming Policy dated 15 November 2023 and are considered to be consistent with this policy. The specific criteria for assessing a name from clause 2 is set out below.
3.3.1 A traditional or Māori name which is acceptable to the Rūnanga or Iwi; this may be a name reflecting the physical characteristics of an area, an activity or event associated with the area or of a notable ancestor.
3.3.2 A feature of historical, social, cultural, environmental or physical importance in the area (e.g., Carlton Mill Road or Carlton Mill Reserve*).
3.3.3 The name of a notable family, person or event associated with the locality or with the wider Christchurch area.
3.3.4 A name in recognition of a person’s service. This can be for community service, conservation, sport, the arts, science and research or other sphere of activity.
3.3.5 Consistency with a common or established theme for naming in a subdivision or locality.
3.3.6 A name that reflects the diverse cultures and communities of the locality or of Christchurch generally.
3.3.7 The name of an event or activity strongly associated with the immediate location including an informal name for the area that is (or was historically) in common usage.
3.3.8 A name associated with a person, event or activity of significance to Christchurch including names associated with people, events, or places of national and international significance.
3.4 The criteria for names that are not suitable for approval from clause 6 are set out below.
3.4.1 Names of people, flora, fauna or geographical features not associated with the area, e.g., names of native trees which are not present in the area or views that cannot be identified, except where the name continues a current naming theme in the locality.
3.4.2 Currently trading commercial organisations except for sponsorship names for facilities and leased parks.
3.4.3 Anagrams, amalgamations or derivatives of people's names.
3.4.4 Names of living persons.
3.4.5 Names related to the developer of a subdivision.
3.4.6 Name of a person, club or organisation associated with a privately owned building on Council land, where the club or organisation does not hold the ground lease for the building.
3.4.7 Names for roads which may cause confusion because they are associated with another geographical location or feature e.g., Parklands Drive which is not located in the Parklands suburb.
3.5 The recommended road names have also been checked against the Australia and New Zealand Standard AS/NZA 4819:2011 Rural and Urban Addressing. The names are considered to be consistent with the Standard.
3.6 Under the Roads and Right-of-Way Naming Policy, the names considered must be requested by the developer. There is no ability to consider alternative names without first checking whether there are any duplications or similarities with other road and right-of-way names.
3.7 Consultation has been undertaken with Land Information New Zealand who have raised no concerns with the proposed names.
3.8 Rūnanga are being consulted on the proposed road naming in the context of part of the land being within a Silent file area, and a verbal update will be provided at the meeting. Consultation is not otherwise required under clause 3 of the policy because the roads to be named are not collector roads and/or site(s) of significance under the District Plan.
3.9 No addresses of neighbouring properties are affected by the proposed road naming (clause 12.2 of the Naming Policy).
3.10 The names requested have been accompanied by an explanation of the background of the names, which is summarised below.
Assessment of Significance and Engagement Te Aromatawai Whakahirahira
3.11 The decisions in this report are assessed as low significance based on the Christchurch City Council’s Significance and Engagement Policy.
3.12 The level of significance was determined by the number of people affected and/or with an interest.
3.13 Due to the assessment of low significance, no further community engagement and consultation is required.
Proposed Names
3.14 The proposed roads are shown in Attachment A.
3.15 The proposed names are themed for local history and continue the existing theme.
3.16 Lane 1 - Devonvale Lane
3.17 In 1877 Mr Johns purchased 50 acres of good, heavy pastoral and agricultural land in Belfast. In 1891 he built his homestead and called it Devonvale after his home county. Mr Johns and his son James started dairy farming and had their own treating house in which they produced the first pasteurised milk in Christchurch, if not the South Island.
3.18 Lane 2 - Golden Lane
3.19 Golden is in the name of many apple varieties, (Golden Delicious, Golden Supreme, Golden Russet) and reflects the previous use of the property as an apple orchard.
Alternative Names
3.20 Divine Lane - Divine is an apple variety and reflects the previous use of the property as an apple orchard.
3.21 Russet Lane - Russet is a family of apple varieties and reflects the previous use of the property as an apple orchard.
Assessment of Names
3.22 The proposed names are considered to be consistent with the policy.
3.23 Notwithstanding, the discretion lies with the Community Board to approve any of the above name options, including the alternative names.
Attachments Ngā Tāpirihanga
|
No. |
Title |
Reference |
Page |
|
a ⇩ |
RMA/2024/1548 - Road Naming Plan - 40B Johns Road |
25/503584 |
37 |
Signatories Ngā Kaiwaitohu
|
Authors |
Leashelle Miller - Planner Level 2 Sean Ward - Team Leader Planning |
|
Approved By |
Mark Stevenson - Head of Planning & Consents |
|
Reference Te Tohutoro: |
25/1479771 |
|
Responsible Officer(s) Te Pou Matua: |
Katharine Jones – Project Manager |
|
Accountable ELT Member Pouwhakarae: |
Brent Smith, General Manager City Infrastructure |
1. Purpose and Origin of the Report Te Pūtake Pūrongo
1.1 The purpose of this report is for the Waimāero Fendalton-Waimairi-Harewood Community Board to approve the Bryndwr Road street renewal scheme design following community engagement and to proceed to construction.
1.2 The report has been written to address the poor condition of the transport assets on Bryndwr Road, including the kerb and channel, deep dish channels, carriageway and footpaths.
2. Officer Recommendations Ngā Tūtohu
That the Waimāero Fendalton-Waimairi-Harewood Community Board:
1. Receives the information in the Bryndwr Road Street Renewal Report.
2. Notes that the decision in this report is assessed as low significance based on the Christchurch City Council’s Significance and Engagement Policy.
3. Revokes any previous resolutions pertaining to kerb lines, traffic calming devices, traffic controls, parking, and stopping restrictions made pursuant to any bylaw to the extent that they are in conflict with the traffic calming, parking and stopping restrictions described in the recommendations below.
4. Approves pursuant to Christchurch City Council Traffic and Parking Bylaw 2017 and Part 21 of the Local Government Act 1974 all kerb alignments, traffic calming devices, road surface treatments, stopping restrictions, signage and road markings:
a. Along Bryndwr Road, commencing at its intersection with Ilam Road and extending in a southerly direction until its intersection with Glandovey Road as detailed on plan TP365901, dated 13.08.2025, and attached to this report as Attachment A.
b. Along Wai-iti Terrace, commencing at its intersection with Burwood Road and extending in a westerly direction for a distance of approximately 20 metres as detailed on plan TP365901, dated 13.08.2025, and attached to this report as Attachment A.
c. Along Newall Avenue, commencing at its intersection with Burwood Road and extending in an easterly direction for a distance of approximately 21 metres as detailed on plan TP365901, dated 13.08.2025, and attached to this report as Attachment A.
d. Along Jeffreys Road, commencing at a point approximately 14 metres east of its intersection with Bryndwr Road and extending in a westerly direction for a distance of 37 metres as detailed on plan TP365901, dated 13.08.2025, and attached to this report as Attachment A.
Ilam Road
5. Approves that, pursuant to Clause 7 of the Christchurch City Council Traffic and Parking Bylaw 2017, the stopping of vehicles be prohibited at all times:
a. On the south side of Ilam Road commencing at its intersection with Bryndwr and extending in an easterly direction for a distance of 16 metres as detailed on plan TP365901, dated 13.08.2025, and attached to this report as Attachment A.
b. On the south side of Ilam Road commencing at its intersection with Bryndwr Road and extending in a westerly direction for a distance of 11 metres as detailed on plan TP365901, dated 13.08.2025, and attached to this report as Attachment A.
Bryndwr Road
Traffic controls
6. Approves that, in accordance with Section 4 of the Land Transport Rule: Traffic Control Devices 2004:
a. The northern approach of Bryndwr Road at its intersection with Ilam Road be controlled by a Give Way control as detailed on plan TP365901, dated 13.08.2025, and attached to this report as Attachment A.
b. The southern approach of Bryndwr Road at its intersection with Jeffreys Road be controlled by a Stop control as detailed on plan TP365901, dated 13.08.2025, and attached to this report as Attachment A.
c. The northern approach of Bryndwr Road at its intersection with Jeffreys Road be controlled by a Stop control as detailed on plan TP365901, dated 13.08.2025, and attached to this report as Attachment A.
d. The southern approach of Bryndwr Road at its intersection with Glandovey Road be controlled by a Give Way control as detailed on plan TP365901, dated 13.08.2025, and attached to this report as Attachment A.
No stopping
7. Approves that, pursuant to Clause 7 of the Christchurch City Council Traffic and Parking Bylaw 2017, the stopping of vehicles be prohibited at all times:
a. On the east side of Bryndwr Road commencing at its intersection with Ilam Road and extending in a southerly direction for a distance of 14 metres as detailed on plan TP365901, dated 13.08.2025, and attached to this report as Attachment A.
b. On the east side of Bryndwr Road commencing at a point approximately 278 metres south of its intersection with Ilam Road and extending in a southerly direction until its intersection with Newall Avenue as detailed on plan TP365901, dated 13.08.2025, and attached to this report as Attachment A.
c. On the east side of Bryndwr Road commencing at its intersection with Newall Avenue and extending in a southerly direction for approximately 11 metres as detailed on plan TP365901, dated 13.08.2025, and attached to this report as Attachment A.
d. On the east side of Bryndwr Road commencing at a point approximately 37 metres south of its intersection with Newall Avenue and extending in a southerly direction for approximately 10 metres as detailed on plan TP365901, dated 13.08.2025, and attached to this report as Attachment A.
e. On the east side of Bryndwr Road commencing at a point approximately 207 metres south of its intersection with Newall Avenue and extending in a southerly direction until its intersection with Jeffreys Road as detailed on plan TP365901, dated 13.08.2025, and attached to this report as Attachment A.
f. On the east side of Bryndwr Road commencing at its intersection with Jeffreys Road and extending in a southerly direction for a distance of 23 metres as detailed on plan TP365901, dated 13.08.2025, and attached to this report as Attachment A.
g. On the east side of Bryndwr Road commencing at a point approximately 109 metres south of its intersection with Jeffreys Road and extending in a southerly direction for a distance of 33 metres as detailed on plan TP365901, dated 13.08.2025, and attached to this report as Attachment A.
h. On the east side of Bryndwr Road commencing at a point approximately 388 metres south of its intersection with Jeffreys Road and extending in a southerly direction until its intersection with Glandovey Road as detailed on plan TP365901, dated 13.08.2025, and attached to this report as Attachment A.
i. On the west side of Bryndwr Road commencing at its intersection with Glandovey Road and extending in a northerly direction for a distance of 28 metres as detailed on plan TP365901, dated 13.08.2025, and attached to this report as Attachment A.
j. On the west side of Bryndwr Road commencing at a point approximately 283 metres north of its intersection with Glandovey Road and extending in a northerly direction for a distance of 23 metres as detailed on plan TP365901, dated 13.08.2025, and attached to this report as Attachment A.
k. On the west side of Bryndwr Road commencing at a point approximately 404 metres north of its intersection with Glandovey Road and extending in a northerly direction until its intersection with Jeffreys Road as detailed on plan TP365901, dated 13.08.2025, and attached to this report as Attachment A.
l. On the west side of Bryndwr Road, commencing at its intersection with Jeffreys Road and extending in a northerly direction for a distance of 11 metres as detailed on plan TP365901, dated 13.08.2025, and attached to this report as Attachment A.
m. On the west side of Bryndwr Road, commencing at a point approximately 170 metres north of its intersection with Jeffreys Road and extending in a northerly direction for a distance of 15 metres as detailed on plan TP365901, dated 13.08.2025, and attached to this report as Attachment A.
n. On the west side of Bryndwr Road, commencing at a point approximately 354 metres north of its intersection with Jeffreys Road and extending in a northerly direction until its intersection with Wai-iti Terrace as detailed on plan TP365901, dated 13.08.2025, and attached to this report as Attachment A.
o. On the west side of Bryndwr Road, commencing at its intersection with Wai-iti Terrace and extending in a northerly direction for a distance of seven metres as detailed on plan TP365901, dated 13.08.2025, and attached to this report as Attachment A.
p. On the west side of Bryndwr Road, commencing at a point approximately 131 metres north of its intersection with Wai-iti Terrace and extending in a northerly direction until its intersection with Ilam Road as detailed on plan TP365901, dated 13.08.2025, and attached to this report as Attachment A.
q. On the north side of Glandovey Road, commencing at its intersection with Bryndwr Road and extending in a north-easterly direction for a distance of eight metres as detailed on plan TP365901, dated 13.08.2025, and attached to this report as Attachment A.
r. On the north side of Glandovey Road, commencing at its intersection with Bryndwr Road and extending in a south westerly direction for a distance of 25 metres as detailed on plan TP365901, dated 13.08.2025, and attached to this report as Attachment A.
Jeffreys Road
No stopping
8. Approves that, pursuant to Clause 7 of the Christchurch City Council Traffic and Parking Bylaw 2017, the stopping of vehicles be prohibited at all times:
a. On the northern side of Jeffreys Road commencing at its intersection with Bryndwr Road and extending in an easterly direction for a distance of 14 metres as detailed on plan TP365901, dated 13.08.2025, and attached to this report as Attachment A.
b. On the southern side of Jeffreys Road commencing at a point approximately 12 metres east of its intersection with Bryndwr Road and extending in a westerly direction until its intersection with Bryndwr Road as detailed on plan TP365901, dated 13.08.2025, and attached to this report as Attachment A.
c. On the southern side of Jeffreys Road commencing at its intersection with Bryndwr Road and extending in a westerly direction for approximately 12 metres as detailed on plan TP365901, dated 13.08.2025, and attached to this report as Attachment A.
d. On the northern side of Jeffreys Road commencing at a point approximately 15 metres west of its intersection with Bryndwr Road and extending in an easterly direction until its intersection with Bryndwr Road as detailed on plan TP365901, dated 13.08.2025, and attached to this report as Attachment A.
Wai-iti Terrace
No stopping
9. Approves that, pursuant to Clause 7 of the Christchurch City Council Traffic and Parking Bylaw 2017, the stopping of vehicles be prohibited at all times:
a. On the south side of Wai-iti Terrace commencing at its intersection with Bryndwr Road and extending in a westerly direction for a distance of 15 metres as detailed on plan TP365901, dated 13.08.2025, and attached to this report as Attachment A.
b. On the north side of Wai-iti Terrace commencing at a point approximately 15 metres west of its intersection with Bryndwr Road and extending in a easterly direction until its intersection with Bryndwr Road as detailed on plan TP365901, dated 13.08.2025, and attached to this report as Attachment A.
Newall Avenue
No stopping
10. Approves that, pursuant to Clause 7 of the Christchurch City Council Traffic and Parking Bylaw 2017, the stopping of vehicles be prohibited at all times:
a. On the north side of Newall Avenue commencing at its intersection with Bryndwr Road and extending in an easterly direction for a distance of 19 metres as detailed on plan TP365901, dated 13.08.2025, and attached to this report as Attachment A.
b. On the south side of Newall Avenue commencing at a point approximately 21 metres east of its intersection with Bryndwr Road and extending in a westerly direction until its intersection with Bryndwr Road as detailed on plan TP365901, dated 13.08.2025, and attached to this report as Attachment A.
General approval
11. Approve that these resolutions take effect when parking signage and/or road marking that evidence the restrictions described in the staff report are in place (or removed in the case of revocations).
Tree removal
12. Approves tree removal as detailed in Attachment C of this report, with the tree numbers listed below, noting that these will be retained if on-site assessment allows.
a. Tree 106844 (39 Glandovey Road). This is a Yoshino cherry, in poor condition
b. Tree 36544 (4 Bryndwr Road). This is a Ribbonwood, in poor condition, and its roots are encroaching on underground services
c. Tree 36543 (4 Bryndwr Road). This is a Ribbonwood, in poor condition, and its roots are encroaching on underground services
d. Tree 14618 (19 Bryndwr Road). This is a Flowering Cherry, in poor condition and is within the footpath realignment, and its roots are encroaching on underground services
e. Tree BR37 (2/46 Bryndwr Road). This is a Sycamore, which is a weed species.
f. Tree 36532 (49 Bryndwr Road). This is a Kowhai, in poor condition and is within the footpath realignment, and its roots are encroaching on underground services
g. Tree 68731 (70 Bryndwr Road). This is a Flowering Cherry, in poor condition and is within the footpath realignment, and its roots are encroaching on underground services
h. Tree 36852 (76 Wai-iti Terrance). This is a Black Locust, in poor condition, and its roots are encroaching on underground services
3. Executive Summary Te Whakarāpopoto Matua
3.1 At the November 2024 Waimāero Fendalton-Waimairi-Harewood Community Board Information Session/Workshop to brief the Board on the Transport Programmes, Bryndwr Road was noted as being absent from the street renewal programme but was a high priority for the Board.
3.2 Staff worked with the Board to include the street renewal project in their programme of works.
3.3 Three main options have been considered:
· Full Street Renewal, including alternate locations for berms and footpaths (Attachment A)
· Full Street Renewal, keeping the berms and footpaths in their current location (Attachment B)
· Do Nothing
3.4 The recommended option is to install the above improvements in accordance with Attachment A. Key features of this options are:
· Replace the deep dish channel with kerb and flat channel to improve drainage
· Reconstruct the carriageway
· Improve walkability through the addition of two mid-block crossings and reconstruction of footpaths and changes to cutdowns and kerb alignments
· Include the addition of a Give Way at Ilam Road and Glandovey Road intersection
· Improve amenity through incorporating areas of planting and the planned planting of up to 37 street trees.
3.4.2 Staff have recommended this option as will help achieve the desired community outcome of early engagement of improving the existing infrastructure by upgrading the kerb and channel, carriageway and footpaths and improving pedestrian connectivity and amenity. While some residents expressed a preference for retaining the existing footpath layout, staff are recommended making changes as this provides opportunities for planting more trees.
4. Background/Context Te Horopaki
4.1 At the November 2024 Waimāero Fendalton-Waimairi-Harewood Community Board Information Session/Workshop, Council staff presented the Transport Programmes to the Board, including a list of projects in each programme and the rationale behind their inclusion.
4.2 It was noted that Bryndwr Road was not currently on the programme but was a high priority for the Board, and staff agreed to work with the Board to include the project in the street renewals programme.
4.3 The addition of Bryndwr Road to the capital programme was in response to poor condition and repeated flooding events and the following objectives were developed:
4.3.1 Full renewal of the kerb and channel
4.3.2 Full carriageway reconstruction
4.3.3 Footpath reconstruction
4.3.4 Upgraded and additional pedestrian crossing points
4.3.5 Increased tree planting and landscaping
4.4 Bryndwr Road is classified as a Local Road. Traffic volumes are 1,500 vehicles per day between Ilam Road and Jeffreys Road and 1,100 vehicles per day between Jeffreys Road and Glandovey Road. The posted speed limit is 50 km/h, with the average speed being 43 km/h, and the 85th percentile speed being 51 km/h.
4.5 A tree assessment has been completed during the development of the scheme design and this identified up to 8 street trees may need to be removed to allow this project to progress (see Attachment C). Based on the Councils Tree Policy, 16 trees would need to be planted to compensate for this.
4.6 New street trees are proposed on the western side of Bryndwr Road due to the location of overhead lines and underground services on the eastern side.
4.7 Engagement was undertaken with residents to understand their issues, which has enabled the project team to proactively adapt the scheme design to reflect the views and concerns of the residents.
4.8 A key theme that emerged from engagement was the desire to see the overhead lines put underground. A representative of Bryndwr Road has been provided contact details for Orion to initiate and discuss options and costings for undergrounding lines.
4.9 The following related memos/information were circulated to the meeting members:
|
Date |
Subject |
|
5 Feb 2025 |
Bryndwr Road Street Renewal confirmation of funding and project initiation |
|
28 July 2025 |
Bryndwr Road Street Renewal update on scheme design and timings |
Options Considered Ngā Kōwhiringa Whaiwhakaaro
4.10 The following reasonably practicable options were considered and are assessed in this report:
4.10.1 Option 1 (Preferred option) – Full street renewal on Bryndwr Road with alternate berm and footpath locations as shown in Attachment A.
4.10.2 Option 2 – Full street renewal on Bryndwr Road with berm and footpaths in existing locations as shown in Attachment B.
4.10.3 Option 3 – Do nothing.
Options Descriptions Ngā Kōwhiringa
4.11 Preferred Option: Full street renewal on Bryndwr Road with alternate berm and footpath locations
4.11.1 Option Description: Full street renewal including kerb and channel, carriage way, footpaths, pedestrian improvements and stormwater upgrade. The locations of the berms and footpaths have been swapped from the existing layout to maximise tree planting opportunities and minimise impacts to underground services.
4.11.2 Option Advantages
· Meets the project objectives of delivering a full street renewal, providing upgrades to the kerb and channel, carriageway, footpaths and crossings.
· Maximises tree planting opportunities, with a proposed planting of up to 37 street trees.
· Reduces maintenance costs through the upgrade of the road, kerb and channel, footpaths and other infrastructure.
4.11.3 Option Disadvantages
· Installation of the upgrades incur initial costs.
· Disruption during construction to residents and businesses through possible road closures and detours.
· Several residents do not support swapping the footpath and berm.
· Loss of on-street parking due to narrowing of intersections (approximately 15 spaces) and two pedestrian mid-block crossings (approximately 12 spaces)
4.12 Option 2: Full street renewal on Bryndwr Road with berm and footpaths in existing locations
4.12.1 Option Description: Full street renewal including kerb and channel, carriage way, footpaths, pedestrian improvements and stormwater upgrade. The locations of the berms and footpaths would remain in their existing locations.
4.12.2 Option Advantages
· Meets the project objectives of delivering a full street renewal, providing upgrades to the kerb and channel, carriageway, footpaths and crossings.
· Retains existing layout of berm and footpath, which several of the residents preferred.
· Reduces maintenance costs through the upgrade of the road, kerb and channel, footpaths and other infrastructure.
4.12.3 Option Disadvantages
· Installation of the upgrades incur initial costs.
· Disruption during construction to residents and businesses through possible road closures and detours.
· Does not meet the Tree Policy, as it only allows minimal opportunities for tree planting due to underground services.
· Footpath widths would be inconsistent with Council’s Infrastructure Design Standards (IDS), requiring a minimum of 1.5 m for footpath widths.
· Loss of on-street parking due to narrowing of intersections (approximately 15 spaces) and two pedestrian mid-block crossings (approximately 12 spaces)
4.13 Option 3 – Do nothing
4.13.1 Option Description: Bryndwr Road will remain as-is with no safety or condition improvements.
4.13.2 Option Advantages
· Project funding can be spent elsewhere.
4.13.3 Option Disadvantages
· Does not respond to drainage and ponding issues raised by residents.
· Does not provide an upgrade to a street that is in poor condition.
· Does not improve pedestrian safety.
· Incurs ongoing maintenance costs.
5. Financial Implications Ngā Hīraunga Rauemi
Capex/Opex Ngā Utu Whakahaere
|
|
Recommended Option |
Option 2 |
Option 3 – Do nothing |
|
Cost to Implement |
$5.5M |
$5.4M |
Nil |
|
Maintenance/Ongoing Costs |
Covered by existing maintenance contract |
Covered by existing maintenance contract |
Covered by existing maintenance contract |
|
Funding Source |
40414 – Bryndwr Road Street Renewal |
40414 – Bryndwr Road Street Renewal |
CCC street maintenance contract |
|
Funding Availability |
Funds are available |
Funds are available |
Funds are available |
|
Impact on Rates |
Nil – project is fully funded for design and construction |
Nil – project is fully funded for design and construction |
Nil |
5.1 The Cost to Implement shows the estimated costs to complete the project, with a 25% contingency on construction items. This is considered appropriate given the state of design development and investigation.
5.2 The project has also spent around $150k on design development and consultation to date.
6. Considerations Ngā Whai Whakaaro
Risks and Mitigations Ngā Mōrearea me ngā Whakamātautau
6.1 None identified; this is a standard street renewal project.
Legal Considerations Ngā Hīraunga ā-Ture
6.2 Statutory and/or delegated authority to undertake proposals in the report:
6.2.1 The Community Boards have delegated authority from Council to exercise the delegations as set out in the Register of Delegations. The list of delegations for the Community Boards includes the resolution of stopping and traffic control devices.
6.2.2 The installation of any signs and/or markings associated with traffic control devices must comply with the Land Transport Rule: Traffic Control Devices 2004.
6.2.3 Part 1, Clause 7 of the Christchurch City Council Traffic and Parking Bylaw 2017 provides Council with the authority to install parking or stopping restrictions by resolution.
6.3 Other Legal Implications:
6.3.1 There is no legal context, issue, or implication relevant to this decision.
Strategy and Policy Considerations Te Whai Kaupapa here
6.4 The required decisions:
6.4.1 Align with the Christchurch City Council’s Strategic Framework.
6.4.2 Are assessed as low significance based on the Christchurch City Council’s Significance and Engagement Policy. The level of significance was determined by the low level of impact and low number of people affected by the recommended decision.
6.4.3 Are consistent with Council’s Plans and Policies.
6.5 This report supports the Council's Long Term Plan (2024 - 2034):
6.6 Transport
6.6.1 Activity: Transport
· Level of Service: 16.0.3 Improve resident satisfaction with road condition - >=30%
· Level of Service: 16.0.9 Improve resident satisfaction with footpath condition - >=43%
Community Impacts and Views Ngā Mariu ā-Hāpori
6.7 To accelerate timeframes and streamline the scheme design phase, Council staff, the Engagement Team and the Community Board agreed to undertake engagement at an early stage with the Bryndwr Road residents to understand their concerns and any issues they would like addressed. This reflects the new engagement process for street renewals.
6.8 Engagement started on 20 March and ran until 7 April 2025. A letter discussing the upcoming project and opportunities to provide feedback was delivered to all properties and businesses on Bryndwr Road.
6.9 Feedback was received by 46 individuals living, working and/or regularly travelling on Bryndwr Road. The feedback was categorised into key themes:
6.9.1 Road surface and design: Residents requested road flattening (25), removal of the deep gutters (10), and road widening (9) in their submissions.
6.9.2 Infrastructure and utilities: Residents requested flooding and drainage issues to be addressed (13); several residents (14) requested undergrounding of powerlines, and many were willing to explore cost-sharing options.
6.9.3 Traffic calming: Residents were split on their views around traffic calming, with 8 residents asking for traffic calming measures and 4 strongly opposing this.
6.9.4 Amenity and aesthetics: Residents requested tree planting to improve the aesthetics of the street and provide shade (11).
6.10 Consultation on the draft scheme design was open from 1 August to 17 August 2025.
6.11 Staff visited business owners and the residents most affected by the draft scheme design on 1 August 2025. Staff spoke with the three businesses and received on-the-spot feedback from two residents. All of those affected were provided a letter with contact details, a link to the Kōrero Mai webpage and a version of the design zoomed in outside their property.
6.12 Consultation details with the draft scheme design were available on the Kōrero Mai webpage, and advertised via:
6.12.1 An email sent to 45 previous submitters to notify them the draft scheme design was open for feedback
6.12.2 An email sent to St John Moraia Fijian Methodist Church and Fendalton Retirement Village
6.12.3 A leaflet drop to approximately 120 Bryndwr Road residents.
6.13 The Kōrero mai | Let’s Talk page had 403 views throughout the consultation period.
6.14 A drop-in session was held at Fendalton Library on 12 August 2025 and attended by 11 residents. The themes discussed are accurately represented through the submission feedback, except for opposition to the landscaping areas at the intersections. All but one attendee made a submission.
Summary of Submissions Ngā Tāpaetanga
6.15 Two organisations and 44 individuals made submissions. All submissions are available on the Kōrero mai webpage.
6.16 Of the 45 individual submitters, most (84%) were Bryndwr Road residents. Staff heard from 34 different Bryndwr Road addresses, representing around one-quarter of the residential homes on the street.
6.17 The remaining submitters commuted through Bryndwr Road (14%), and one (2%) worked or had a business on Bryndwr Road.
6.18 Businesses/organisations:
6.18.1 Jeffreys/Bryndwr businesses (Thai Smile Thai Massage, To Be Continued… and Fendalton Convenience) had mixed views about the introduction of timed parking outside their businesses. The convenience store felt all parking should be P10. Thai Smile and To Be Continued… felt there was no need to introduce timed parking in the area because they do not see people parking there for long periods of time, but if it had to be timed P120 would suit them better. Both felt the timed parking would have adverse effects on their businesses.
6.18.2 Fendalton Retirement Village felt there was no longer a need for the safe crossing point near them because they are closing down.
6.18.3 Spokes Canterbury supported the plan overall and provided a number of suggestions to make the intersection more pedestrian and cyclist friendly.
6.19 Submitters supported the following aspects of the design:
6.19.1 The steep camber is proposed to be addressed (9)
6.19.2 The deep-dish gutters are proposed to be replaced (7)
6.19.3 Tree-planting (6)
6.19.4 The berm configured on the roadside, increasing pedestrian safety (5)
6.20 Submitters opposed the following aspects of the design:
6.20.1 The berm and footpath configuration (15), for the following reasons:
· Safety – current configuration has better visibility of pedestrians for cars leaving their driveways
· Preference for car passengers to step onto a footpath, not grass
· Watering – challenges with watering a berm that is not beside their house
· Perception the proposed configuration would be more costly than existing configuration
· Bisected lawn creates more maintenance for homeowners e.g., lawn edging
6.20.2 The tree planting, with some suggesting Bryndwr Road already has a sufficient number of trees (9)
6.20.3 The safe crossing point outside Fendalton Retirement Village, with some deeming it unnecessary with the village closing down (5).
6.21 Submitters requested:
6.21.1 That the plan ensures drainage issues are addressed (5).
6.22 Undergrounding of powerlines remained a key issue for residents. In response to calls for more detail, staff added further information about Council’s stance on undergrounding on the Kōrero mai webpage and in the letter-drop to residents. Staff have provided a residents group representative the details for a key contact person at Orion to liaise with in any discussions on behalf of Bryndwr Road residents.
6.23 At the drop-in session, residents discussed their strong opposition to the landscaped areas at the intersections, however this was not reflected in the submissions. Two submissions called for the removal of landscaping areas, and three submissions requested that any landscaping is kept low to ensure drivers have good visibility. Landscaping was initially introduced in alignment with the letter from residents received 28th March 2025.
6.24 The decision affects the following wards/Community Board areas:
6.24.1 Waimāero Fendalton-Waimairi-Harewood Community Board.
Impact on Mana Whenua Ngā Whai Take Mana Whenua
6.25 The decision does not involve a significant decision in relation to ancestral land, a body of water or other elements of intrinsic value, therefore this decision does not specifically impact Mana Whenua, their culture, and traditions.
6.26 The decision does not involve a matter of interest to Mana Whenua and will not impact on our agreed partnership priorities with Ngā Papatipu Rūnanga.
Climate Change Impact Considerations Ngā Whai Whakaaro mā te Āhuarangi
6.27 The decisions in this report are likely to:
6.27.1 Contribute positively to adaptation to the impacts of climate change.
6.27.2 Contribute positively to emissions reductions.
6.15 The proposals in this report are expected to have a relatively small impact on climate change considerations, due to the nature and scope of the project. However, improved drainage will contribute towards adaptation to the impacts of climate change, and safer footpaths and improved connectivity for residents may encourage more walking and cycling.
7. Next Steps Ngā Mahinga ā-muri
7.1 If approved staff will progress the scheme to detailed design and construction.
Attachments Ngā Tāpirihanga
|
No. |
Title |
Reference |
Page |
|
a ⇩ |
Bryndwr Road Preferred Option for Approval |
25/1676061 |
50 |
|
b ⇩ |
Bryndwr Road Option 2 For Information |
25/1676073 |
51 |
|
c ⇩ |
Bryndwr Road Reconstruction - Tree Survey PDF Copy - May 25 |
25/1094714 |
52 |
|
d ⇩ |
Bryndwr Road Street Renewal confirmation of funding and project initiation |
25/231430 |
63 |
|
e ⇩ |
Bryndwr Road Street Renewal update on scheme design and timings |
25/1479614 |
64 |
In addition to the attached documents, the following background information is available:
|
Document Name – Location / File Link |
|
Not applicable |
Signatories Ngā Kaiwaitohu
|
Authors |
Katharine Jones - Project Manager Tom Williams - Senior Traffic engineer Paris Porter - Engagement Advisor |
|
Approved By |
Matt Goldring - Transport Team Leader Project Management Jacob Bradbury - Manager Planning & Delivery Transport Tony Richardson - Finance Business Partner Lynette Ellis - Head of Transport & Waste Management |
|
Reference Te Tohutoro: |
25/774986 |
|
Responsible Officer(s) Te Pou Matua: |
Raymond Qu, Property Consultant |
|
Accountable ELT Member Pouwhakarae: |
Anne Columbus, General Manager Corporate Services/Chief People Officer |
1. Purpose and Origin of the Report Te Pūtake Pūrongo
1.1 The purpose of this report is to obtain the approval of the Waimaero Fendalton-Waimairi-Harewood Community Board for granting easements over a Council-owned reserve.
1.2 The report is staff-generated in response to a private application for the easement. Community Boards have the delegation to grant easements over reserves.
2. Officer Recommendations Ngā Tūtohu
That the Waimāero Fendalton-Waimairi-Harewood Community Board:
1. Receives the information in the Easement Over Recreation Reserve - 82 Glenturret Drive report.
2. Notes that the decision in this report is assessed as low significance based on the Christchurch City Council’s Significance and Engagement Policy.
3. Approve pursuant to Section 48 of the Reserves Act 1977, granting the right of way, right to drain water marked as ZZ on the plan in attachment A to the report, Subject to:
a. The consent of the Minister of Conservation or her delegate is obtained.
4. Recommend that the Chief Executive, using the Council’s delegated authority from the Minister of Conservation, consent to granting the right of way, right to drain water in favour of ZZ on the plan in attachment A.
3. Executive Summary Te Whakarāpopoto Matua
3.1 Staff have received an application to grant an easement shown as ZZ on the plan in Attachment A, over Council land being Lot 152 DP 499649, which is a Recreation Reserve.
3.2 Staff do not have the delegated authority to grant easements over reserves. Therefore, approval from the Waimāero Fendalton-Waimairi-Harewood Community Board is required for the easement.
3.3 The physical works have been completed, and the easement is to legitimise a misalignment of a stormwater pipe, which will eventually vest in the Council.
4. Background/Context Te Horopaki
4.1 Apohrodite
Limited, the developer of 275 Highsted Road, Casebrook, inadvertently had a
contractor install a water supply pipe slightly on Recreation Reserve land in
January 2025. The pipe was intended to be laid within the adjacent drainage
reserve or road reserve land. This pipe will ultimately become a 3 Waters Unit
asset. 
4.2 The developer has contacted the Parks Unit to discuss how their contractor caused this error and is requesting an easement to keep the pipe in place. While relocating the short section of pipe could be done at significant cost, with land disturbance and inconvenience, the Parks Unit has agreed that the best solution is to leave the pipe where it is and seek an easement, subject to Community Board approval.
4.3 The Parks Unit believes that the size and position of the easement at the boundary of the recreation reserve are unlikely to pose significant problems or challenges for its future management and use.
4.4 The proposed easement varies from 1.85 m to 1.65 m x 10 m (see survey plan below). Apart from a pedestrian path (which has been reinstated), no trees or structures on the Recreation Reserve were impacted.
4.5 The following related memos/information were circulated to the meeting members:
|
Date |
Subject |
|
|
Not Applicable |
4.6 The following related information sessions/workshops have taken place for the meeting members: (If the information session/workshop was open to the public, provide a link to either the agenda or the recording of the meeting. If it was closed,
|
Date |
Subject |
|
|
Not Applicable |
Options Considered Ngā Kōwhiringa Whaiwhakaaro
4.7 The following reasonably practicable options were considered and are assessed in this report:
4.7.1 Grant the requested easements.
4.7.2 There were no other practical options.
4.8 The following options were considered but ruled out:
4.8.1 Do not grant easements – This would impose unnecessary extra costs on the applicant. It is unreasonable as the asset will eventually vest in the Council after the developer completes its project.
Options Descriptions Ngā Kōwhiringa
4.9 Preferred Option:
4.9.1 Option Description: Grant the easements shown as ZZ on the plan in Attachment A.
4.9.2 Option Advantages
· Permits the applicant to formalise existing access.
· Provides an expedient route for services.
· Maintains the Council’s reputational integrity.
· Is consistent with existing use of the land.
4.9.3 Option Disadvantages
· None.
Analysis Criteria Ngā Paearu Wetekina
4.10 The analysis criteria for this option were evaluated by considering the current private and public use of the reserve and potential disruptions; this easement imposes minimal additional burden on the land.
5. Financial Implications Ngā Hīraunga Rauemi
Capex/Opex Ngā Utu Whakahaere
|
|
Recommended Option |
|
Cost to Implement |
Nil |
|
Maintenance/Ongoing Costs |
Nil |
|
Funding Source |
Reimbursed by the applicant |
|
Funding Availability |
N/A |
|
Impact on Rates |
N/A |
5.1 The applicant has agreed to meet all Council costs to implement the decisions in this report.
6. Considerations Ngā Whai Whakaaro
Risks and Mitigations Ngā Mōrearea me ngā Whakamātautau
6.1 Having been through a regulatory consenting process, there is potential for reputation risk if the request to grant easements is refused.
6.2 The installation is complete, and the developer reinstated the pedestrian walkway. Apart from replanting the lawn along the bank of Gardiners Drain, there is nothing more to be made good.
Legal Considerations Ngā Hīraunga ā-Ture
6.3 Statutory and/or delegated authority to undertake proposals in the report:
6.3.1 Sections 10 & 48 of the Reserves Act 1977.
6.3.2 In exercising the consent of the Minister of Conservation, the Council should be satisfied that due procedure has been followed. In this respect, the Council should have regard to the following matters:
· Section 48 of the Reserves Act 1977 gives authority to Councils to grant rights of way and other easements over reserves.
· The Council has subdelegated this decision to the Community Boards – Delegations Register Part D – Sub Part 1 – Community Boards
· Section 48(2) of the Reserves Act 1977 mandates that the granting of easements over reserves must be publicly notified.
· Section 48(3) of the Reserves Act 1977 exempts public notification if the reserve is not materially altered or permanently damaged. Since there are existing similar uses and any new services will be underground, this provision applies, and public notice is not deemed necessary.
6.4 Other Legal Implications:
6.4.1 Under Section 48(1) of the Reserves Act 1977, the Minister of Conservation's consent is also necessary. The Minister has delegated this authority to the Council, which has further subdelegated it to the Chief Executive Officer (CEO).
6.4.2 The Community Board can signal its support for the CEO to exercise this sub-delegation.
Strategy and Policy Considerations Te Whai Kaupapa here
6.5 The required decisions:
6.5.1 Align with the Christchurch City Council’s Strategic Framework.
6.5.2 Are assessed as low significance based on the Christchurch City Council’s Significance and Engagement Policy. The overall impact on the land of the granting of an easement determined the level of significance.
6.5.3 Are consistent with Council’s Plans and Policies.
6.6 This report does not support the Council's Long Term Plan (2024 - 2034).
Community Impacts and Views Ngā Mariu ā-Hāpori
6.7 The decision affects the following wards/Community Board areas:
6.7.1 Waimaero Fendalton-Waimairi-Harewood Community Board.
6.8 The Community Board's view should be requested.
Impact on Mana Whenua Ngā Whai Take Mana Whenua
6.9 The decision does not involve a significant decision in relation to ancestral land, a body of water or other elements of intrinsic value; therefore, this decision does not specifically impact Mana Whenua, their culture, and traditions.
6.10 The decision does not involve a matter of interest to Mana Whenua and will not impact our agreed partnership priorities with Ngā Papatipu Rūnanga.
6.11 The reserve land was vested in the Council through private subdivision rather than being classified as sensitive land owned by the Crown.
Climate Change Impact Considerations Ngā Whai Whakaaro mā te Āhuarangi
6.15 The proposals in this report are unlikely to contribute significantly to adaptation to the impacts of climate change or emissions reductions.
7. Next Steps Ngā Mahinga ā-muri
7.1 Obtain the Minister of Conservation’s consent that has been delegated to the Chief Executive Officer for the easements to be granted over the reserve land.
7.2 Obtain LINZ-approved plan (as-built) for the easement registration.
7.3 Invoice applicant to recover all staff costs.
7.4 Registration of easements at Land Information NZ.
Attachments Ngā Tāpirihanga
|
No. |
Title |
Reference |
Page |
|
a ⇩ |
Easement Application Plan |
25/1511023 |
71 |
In addition to the attached documents, the following background information is available:
|
Document Name – Location / File Link |
|
Not applicable
|
Signatories Ngā Kaiwaitohu
|
Author |
Raymond Qu - Property Consultant |
|
Approved By |
Angus Smith - Manager Property Consultancy Kelly Hansen - Manager Parks Planning & Asset Management Rupert Bool - Head of Parks |
|
Reference Te Tohutoro: |
25/1517863 |
|
Responsible Officer(s) Te Pou Matua: |
Felix Dawson, Leasing Consultant |
|
Accountable ELT Member Pouwhakarae: |
Andrew Rutledge, General Manager Citizens and Community |
1. Purpose and Origin of the Report Te Pūtake Pūrongo
1.1 The purpose of this report is for the Waimāero Fendalton-Waimairi-Harewood Community Board to consider the application for a commercial recreation licence by Groynes Boat Hire at the Groynes Park.
1.2 The report is staff initiated to address a request for a new licence and follows a Request for Proposal process.
2. Officer Recommendations Ngā Tūtohu
That the Waimāero Fendalton-Waimairi-Harewood Community Board:
1. Receives the information in the Groynes Boat Hire- Proposed New Licence- The Groynes Report.
2. Grant a Licence to Groynes Boat Hire pursuant to the Local Government Act 2002, for a licence period of 10 years including renewals for an area of approximately 1.95ha approx. of the Groynes being part of Pt RS 5636 as shown generally as areas A – D on the plan described as Attachment A of this report.
3. Notes that the decisions in this report are of low significance in relation to the Christchurch City Council’s Significance and Engagement Policy 2019.
4. Requests that the Manager Property Consultancy do all things necessary and make any decisions at his sole discretion that are consistent with the intent of this report to implement the resolutions above including completing negotiations and administering the terms and conditions of the new lease.
3. Executive Summary Te Whakarāpopoto Matua
3.1 Groynes Boat Hire is a long-standing boat hire business operating from the main lake at The Groynes.
3.2 The business has operated on a month-to-month licence since 2017 and have approached the Council with a request for a longer term to provide business security.
3.3 Parks planning staff have assessed the park which is primarily used for outdoor activities and support the continued use of the lake for boat hire purposes noting that it is a popular and a well patronised activity.
3.4 A Request for Proposal process was undertaken inviting proposals for a commercial water-based licence. Groynes Boat Hire presented the only proposal.
3.5 Staff have assessed the proposal which meets all key requirements and support a licence for continuation of the activity generally at the current level which has a low impact on the park. The provision of light refreshments is also supported although only to patrons in an ancillary capacity to the primary business of boat hire
3.6 There were no submissions made in response to the public notification process.
3.7 A licence to Groynes Boat Hire is proposed for the area shown in Attachment A.
4. Background/Context Te Horopaki
4.1 The Groynes Park is located at 182 Johns Road as shown in red below. It is owned by Environment Canterbury (ECan) and leased to the Council for the purpose of passive and water-based recreation. Regarding Council management it is considered as Park under the Local Government Act 2002.

4.2 The Park has been developed over time as an outdoor recreation facility, is around 69ha in size and can be separated into three general areas of use, A-C above.
Area ‘A’ includes the main lake, four other smaller lakes and a range of different picnic areas. The main lake has historically been used for paddle boats with the four other lakes popular for fishing all year round and is also used by the ‘Take a Kid Fishing Trust’ for an annual fishing event where fish are introduced into the lakes prior to the event. Around 5,000 people have been known to attend on the day. The area is set up for picnicking with barbeques provided on site along with three playgrounds and a number toilet blocks. The park is popular with the community who hold regular annual gatherings.
The Otukaikino Stream which feeds the lakes in area ‘A’ runs through Area ‘B’ which is dominated by mature plantings that follow the stream. This area is popular for water safety education in the stream and includes an on-site kayak slalom course. A high ropes course used generally by school groups under the management of the Horizons Trust on behalf of the Kahikatea Trust is also contained in this area in association with the Girl Guides Association who have a base for camping. The area is also popular for orienteering cross country and fun runs.
There is a well-used dog park in area ‘C’ providing a space where dogs can run free. At 17ha it is the largest dog park in Canterbury.
Water Activities on the Main Lake
4.3 For over 58 years a paddle boat business has been run on the main recreation lake operating from a small boat shed and wharf as shown below.

4.4 The business has become somewhat of an ‘institution’ providing hire of fibreglass paddleboats and canoes all made in Christchurch in the 1970s. Some customers have referenced three generations of use. The quality of the service has varied over time, but the business was purchased by the current operators in 2017 and since that time the boats have been re-furbished and the business has operated as a low cost family orientated water activity.
4.5 Following purchase of the business the new owners were advised by the Council that a licence was not in place and could not be arranged until execution of a new head lease with ECan, completion of a Management Plan and public tender process. A month-to-month licence was approved by the Fendalton-Waimairi-Harewood Community Board Recess Committee in January 2018 pending the above.
4.6 The head lease was completed in 2019 and a management plan for Roto Kohatu was completed in 2023. Originally intended to be a joint management plan for The Groynes and Roto Kohatu the Groynes element was removed from that plan process because of the complexity of the issues arising at Roto Kohatu.
4.7 Management and development of the Groynes has continued since 2017 consistent with the permitted use under the ECan lease. The key elements of current activity as outlined above provide a clear framework for use generally with the popularity of the park providing for community needs. The popularity of the paddleboat activity suggests that continued activity of this nature is supported and so Parks planning staff were comfortable with supporting a public process to invite proposals for a water-based activity on the main lake. It was also decided to allow for the sale of refreshments from the site in a limited capacity to support the business.
Request for Proposal Process
4.8 A Request for Proposal (open tender) process was undertaken in accordance with Council policy requirements for an open transparent and public process. It is also consistent with the decision of 2018 regarding the current licence. It was advertised in the public notices of the Press on 12 May 2025. A sign was erected on site. One proposal was received. Groynes Boat Hire proposal was complying in key elements and assessed in accordance with the assessment criteria considering:
· Key Aspects of the Proposal-Project Plan
· Personnel and Track Record
· Funding Plan and Financial Resources
· Health and Safety/Sustainability
The Proposal
Groynes Boat Hire (the Licensee) have described their purpose to “provide a low cost, safe service to Tamariki (children) whanau (family) and hapori whanui (wider community) to engage in physically active water activities utilising canoes, aqua trikes and pedal boats.”
Their objectives are to “contribute to the personal health, wellbeing and quality of life of all customers regardless of age or diversity… to keep the cost to customers low to increase accessibility for all.”

4.9 The proposal is to continue to offer the same low key, safe and friendly affordable service “that supports families to be active whilst spending time together, immersed in nature”
4.10 The boats have been furbished by the owner (under supervision), are safe and whilst scruffy have a classic and iconic feel. The aqua trikes are described as unique and only available at the Groynes. The Licensee considers that maintaining this operation is a form of community service.
4.11 Over the last seven years the Licensee has steadily built the business with website, google, Facebook and TripAdvisor profiles, with solid reviews.
4.12 The business is run with good health and safety procedures, including restricting numbers of people on the water at any one time and compliance with maritime law as required and administered by ECan. The business is run as a sole operator with volunteer family assistance. It operates at minimal profit which could be viewed as financially tenuous, although the track record has shown this to be sustainable.
4.13 Proposed Business Hours- as per current use:
Saturday- Sunday 11.00am-4.00pm,
Public holidays and school holidays 11.00am- 4.00pm
Occassional use outside hours above
4.14 A request has been made to offer refreshments: snacks, ice creams coffee/drinks from the premises which would potentially increase the financial return. This is supported by Parks as a reasonable element to strengthen the business. A small space to the side of the boatshed has been included in the licence area and is shown as ‘C’ above. This provides a set-up area for customers using boats and a space for provision of low-level refreshments. It is noted that there are no services of this nature currently offered in the park and a mobile vendor/or other may be considered in the future. The right to sell refreshments for the licensee will be restricted in sales to business patrons only. This would not limit future mobile vendor/or other options.
Assessment of Proposal
4.15 Staff have reviewed the proposal which was presented in high quality and consider that Groynes Boat Hire have sufficient track record and experience to continue operation as is and although it runs on a tight financial basis, there is a good track record of managing in this way and commitment to continue. There is minimal risk to Council in terms of costs if the business should fail financially.
Proposed Licence
4.16 Groynes Boat Hire meets the Council’s requirements as a suitable lessee
· Sole operator
· Commitment to providing service
· Proven track record
· Financially stable
· Low impact on park
4.17 Key lease terms are:
· Non exclusive licence for lake and jetty. Exclusive use of shed and exclusive use of jetty and adjoning area when operating .
· Licence area 1.95ha approx
· Permitted use: pleasure boat hire and provision of refreshments
· Initial licence term 5 years with one right of renewal
· Base rent with percentage of income calculated on annual revenue.
Options Considered Ngā Kōwhiringa Whaiwhakaaro
4.18 The following reasonably practicable options were considered and are assessed in this report:
4.18.1 Enter into a commercial licence for pleasure boat hire business with option to sell refreshments
4.18.2 Do not enter into a commercial licence for pleasure boat hire business with option to sell refreshments
4.19 The following options were considered but ruled out:
4.19.1 Do nothing: Groynes Boat Hire requires a decision to enable it to plan future business use with certainty.
4.19.2 Enter into a commercial licence for pleasure boat hire business without option to sell refreshments. Not favoured as selling refreshments would strengthen financial viability and enable Groynes Boat Hire to keep its hire fees low and accessible to all.
Options Descriptions Ngā Kōwhiringa
4.20 Preferred Option: Enter into a commercial licence for pleasure boat hire business with option to sell refreshments.
4.20.1 Option Description: Enter into a commercial licence for pleasure boat hire business with option to sell refreshments. Involves non-exclusive use of lake when business is operating, exclusive use of jetty and surrounding area when business is operating. Exclusive use of boat shed. Right to sell light refreshments to business patrons.
4.20.2 Option Advantages
· Provides business certainty for operator
· Continues with popular public service of boat hire
· Consistent with the public use of the reserve and head lease
· Selling refreshments option strengthens business viability and facilitates keeping hire fees low. Sale only to patrons does not limit options for further sale options within the park.
4.20.3 Option Disadvantages
· Restricts public use of jetty when business is operating
4.21 Other Option: Do not enter into a commercial licence for pleasure boat hire business with option to sell refreshments
4.21.1 Option Description: Do not enter into a commercial licence for pleasure boat hire business with option to sell refreshments and retain existing wharf facility for general public use.
4.21.2 Option Advantages
· Area remains available for recreational use at all times.
4.21.3 Option Disadvantages
· A popular activity/service is denied
Analysis Criteria Ngā Paearu Wetekina
4.22 The options were assessed taking into account the benefits of maintaining the existing boat hire activity as against keeping it completely open for public use.
5. Financial Implications Ngā Hīraunga Rauemi
Capex/Opex Ngā Utu Whakahaere
|
|
Recommended Option |
Option 2 -Do not enter into licence1,00 and retain for open space |
|
Cost to Implement |
Nil Licence set up costs covered by licensee |
Nil Licence set up costs covered by licensee |
|
Maintenance/Ongoing Costs |
$1500/annum |
nil |
|
Funding Source |
Operational budget |
Operational budget |
|
Funding Availability |
yes |
yes |
6. Considerations Ngā Whai Whakaaro
Risks and Mitigations Ngā Mōrearea me ngā Whakamātautau
6.1 There is a risk of the lessee failing to continue operating successfully and maintain the premises. Financial consequences would be minor and operational issues could be rectified. The likelihood of these consequences occurring is considered low based on the organisation’s previous track record.
6.2 There is also a risk that the operator will sell refreshments to non-patrons and develop the business in the way of a café. The likelihood is considered medium and will be mitigated by the terms of the licence that will be explicit and specify sale to non-patrons as a breach.
Legal Considerations Ngā Hīraunga ā-Ture
6.3 Statutory and/or delegated authority to undertake proposals in the report:
6.3.1 Delegations Parks (Part D-sub Part 1- Community Boards) Authority delegated from Council to Community Boards.
“To grant leases or licences for a maximum term of 35 years to any person or body over parks and to authorise staff to sign all required documentation” Local Government Act 2002.
6.3.2 Local Government Act 2002-Lease entered into pursuant to general powers
6.4 Other Legal Implications:
6.4.1 Local Government Act 2002-Decision Making including consideration of community views
6.4.2 Local Government Act 2002, Public notification in accordance with s138
6.4.3 Approval of lessor under head lease.
Strategy and Policy Considerations Te Whai Kaupapa here
6.5 The required decisions:
6.5.1 Aligns with the Christchurch City Council’s Strategic Framework. in particular the strategic priority of “Be an inclusive and equitable city…prioritising well being, accessibility and connection”. These elements are key objectives for the business as set out in the RFP proposal.
6.5.2 Are of low significance in relation to the Christchurch City Council’s Significance and Engagement Policy 2019. The level of significance was determined by considering the number of people affected, the level of impact on those affected and the low cost to Council associated with entering into the licence.
6.5.3 Is consistent with Council’s Plans and Policies.
· Lease Policy for the Creation of New leases and Extension Requests Prior to Expiry-Property:
“..tenant for property sought through an open transparent and public process..” applies in this case for an application for a new licence. An RFP process was run inviting proposals for this use.
· Open Space Strategy
· Physical Recreation and Sports Strategy
6.6 This report supports the Council's Long Term Plan (2024 - 2034):
6.7 Parks, Heritage and Coastal Environment
6.7.1 Activity: Parks and Foreshore
· Level of Service: 6.8.10.1 Appropriate use and occupation of parks is facilitated - Processing of the application is started within ten working days of receiving application - 95%
Community Impacts and Views Ngā Mariu ā-Hāpori
6.8
6.8.1 Public notices regarding the proposed licence were put in the Christchurch Press on 25 June 2025, with a notice in the public notices on the Council website running from 27 June for a month. No responses were received. No submissions were received.
6.8.2 Staff consider that this is sufficient consideration of community views taking into account the significance of the decision proposed and the fact that the proposal does not change the current level of activity
6.9 The decision affects the following wards/Community Board areas:
6.9.1 Waimāero Fendalton-Waimairi Spreydon Community Board
Impact on Mana Whenua Ngā Whai Take Mana Whenua
6.10 The decision does not involve a significant decision in relation to ancestral land, a body of water or other elements of intrinsic value, therefore this decision does not impact Mana Whenua, their culture, and traditions.
6.11 The decision does not involve a matter of interest to Mana Whenua and will not impact on our agreed partnership priorities with Ngā Papatipu Rūnanga.
Climate Change Impact Considerations Ngā Whai Whakaaro mā te Āhuarangi
6.13 The proposals in this report are unlikely to contribute to adaptation to the impacts of climate change and emissions reductions.
6.14 In terms of the activities associated with the licence, there is a low carbon footprint associated with the use as it is locally focused. The licensee has a strong focus on minimal resource use with the decision to re-furbish the existing boats preferred to replacement with plastic that are difficult to repair if damaged. The vessels are all pedal or paddle powered, the shed has a solar panel for electricity. Games that are provided to customers have been hand made with recycled or natural materials
7. Next Steps Ngā Mahinga ā-muri
7.1 Subject to Community Board approval, Property staff are to undertake final negotiation of lease terms, complete documentation and administration of the new lease.
Attachments Ngā Tāpirihanga
|
No. |
Title |
Reference |
Page |
|
a ⇩ |
Groynes Boat Hire Licence Areas |
25/1578317 |
81 |
In addition to the attached documents, the following background information is available:
|
Document Name – Location / File Link |
|
Not applicable
|
Signatories Ngā Kaiwaitohu
|
Author |
Felix Dawson - Leasing Consultant |
|
Approved By |
Kathy Jarden - Team Leader Leasing Consultancy Angus Smith - Manager Property Consultancy Robbie Hewson - Head Ranger Coastal & Plains Rupert Bool - Head of Parks |
1. Purpose and Origin of the Report Te Pūtake Pūrongo
1.1 The purpose of this report is for the Waimāero Fendalton-Waimairi-Harewood Community Board to consider applications received for the 2025-26 Waimāero Fendalton-Waimairi Harewood Summer with your Neighbours and to allocate funding as appropriate. There is a balance of $3,500 allocated to the 2025-26 Waimāero Fendalton-Waimairi-Harewood Summer with your Neighbours. The staff recommendations in this report total $3,500.
2. Officer Recommendations Ngā Tūtohu
That the Waimāero Fendalton-Waimairi-Harewood Community Board:
1. Receives the information in the Waimāero Fendalton-Waimairi-Harewood Summer with your Neighbours 2025-26 Report.
2. Notes that the decisions in this report are assessed at low significance based on the Christchurch City Council’s Significance and Engagement Policy.
3. Allocate its 2025-26 Summer with your Neighbours as follows:
|
Applicant |
Activity |
No. Attending |
Staff recommendation |
|
|
1 |
Lorraine Ellery |
Street gathering |
30 |
$75 |
|
2 |
Amanda Murray |
Neighbourhood catch up |
20 |
$50 |
|
3 |
Joanna Dodgshun |
BBQ meal |
42 |
$105 |
|
4 |
Peter Boock |
BBQ meal |
60 |
$150 |
|
5 |
Zara Fraser |
Street Christmas party |
50 |
$125 |
|
6 |
Pam Templeton and QC Voon |
Afternoon tea gathering |
25 |
$63 |
|
7 |
Liane Dixon |
Afternoon early meal |
60 |
$103 |
|
8 |
Gail Turner |
Late afternoon BBQ |
35 |
$88 |
|
9 |
Vilna Gough-Jones |
Pizza in the park |
60 |
$150 |
|
10 |
Marg O'Connell |
Street party |
50 |
$70 |
|
11 |
Diane Lattimore |
Christmas BBQ |
25 |
$63 |
|
12 |
Kylie Phaup-Stephens |
Shared kai and conversation |
20 |
$50 |
|
13 |
Lisa Wallace |
Afternoon BBQ |
50 |
$125 |
|
14 |
Vicki Smith |
BBQ |
120 |
$200 |
|
15 |
Gretchen Bruner |
Summer BBQ |
18 |
$45 |
|
16 |
Peter Cameron |
Afternoon tea |
35 |
$88 |
|
17 |
Peter Evans |
Street BBQ |
32 |
$80 |
|
18 |
Joanna Hopkins |
Street BBQ |
70 |
$175 |
|
19 |
Barb Harper |
Lunch BBQ |
45 |
$113 |
|
20 |
Anna Woodham |
BBQ |
40 |
$60 |
|
21 |
Isabella Slattery-Shannon |
BBQ |
45 |
$113
|
|
22 |
Jacqui and Dave Ching |
Private street party |
100 |
$200 |
|
23 |
Carolyn Coghlan |
Street BBQ |
90 |
$200 |
|
24 |
Atu Siwatibau |
BBQ |
40 |
$100 |
|
25 |
Peter Floris |
Pre-Christmas get together |
22 |
$55 |
|
26 |
Teresa Barnes |
BBQ |
40 |
$100 |
|
27 |
Brian Palliser |
BBQ |
24 |
$60 |
|
28 |
Truus Dingemanse |
Street BBQ |
40 |
$100 |
|
29 |
Lisa Martin |
Street BBQ |
30 |
$75 |
|
30 |
Fendalton Park Croquet Club Incorporated |
Twilight Croquet |
60 |
$257 |
|
31 |
Anglican Parish of Burnside-Harewood |
Light party |
100 |
$262 |
3. Key Points Ngā Take Matua
Strategic Alignment Te Rautaki Tīaroaro
3.1 The recommendations above are aligned to the Council's Strategic Framework and in particular the strategic priorities of a Collaborative and Confident City and A Cultural Powerhouse City. The projects also align with the Te Haumako Te Whitingia Strengthening Communities Together Strategy.
Decision Making Authority Te Mana Whakatau
3.2 The Community Board has the delegated authority to determine the allocation of its Summer with your Neighbours funding.
3.3 Allocations must be consistent with any policies, standards or criteria adopted by the Council.
Assessment of Significance and Engagement Te Aromatawai Whakahirahira
3.4 The decisions in this report are assessed as low significance based on the Christchurch City Council’s Significance and Engagement Policy.
3.5 The level of significance was determined by the number of people affected and/or with an interest.
3.6 Due to the assessment of low significance, no further community engagement and consultation is required.
Discussion Kōrerorero
3.7 At its meeting on 11 August 2025, the Waimāero Fendalton-Waimairi-Harewood Community Board resolved to allocate $3,500 from its 2025-26 Discretionary Response Fund towards Summer with your Neighbours 2025-26.
3.8 Summer with your Neighbours is about bringing people closer together and celebrating the unique and diverse mix of each neighbourhood. It invites residents to consider if they have ever wanted to organise a neighbourhood gathering, or to get to know the people who live close to them. This popular event has grown from year to year and is promoted by the Council.
3.9 Local community groups, including Residents' Associations and Neighbourhood Support groups, have been sent information inviting them to apply for the Summer with your Neighbours funding. Staff also promoted the fund through social media and other networks.
3.10 Summer with your Neighbours will run from 25 October 2025 to 30 March 2026. Applications for funding opened on 12 July 2025 and closed on 10 August 2025.
3.11 By the closing date, 31 eligible applications had been received. Staff have assessed the applications to ensure that they met the Summer with your Neighbours guidelines and have recommended amounts to be allocated to all of the 31 applications received.
3.12 To create consistency in staff recommendations across the city, staff recommendations are based on the following formula:
- $2.50 per head approx. up to a maximum of $200 (exceptions may be made for applications from organisations).
- When the requested amount is less than the $2.50 per head formula, the requested amount is what has been recommended.
- Where two approximate attendee numbers have been noted, recommendations are based on the higher approximate figure.
3.13 A matrix outlining the applications and staff recommendations is attached (refer Attachment A), along with the Summer with your Neighbours Guidelines (refer Attachment B).
Attachments Ngā Tāpirihanga
|
No. |
Title |
Reference |
Page |
|
a ⇩ |
Matrix - 2025-26 Fendalton-Waimairi-Harewood Summer with your Neighbours |
25/1728197 |
85 |
|
b ⇩ |
Guidelines - 2025-26 Summer with your Neighbours |
25/1438894 |
89 |
Signatories Ngā Kaiwaitohu
|
Author |
Katie MacDonald - Support Officer |
|
Approved By |
Maryanne Lomax - Manager Community Governance, Fendalton-Waimairi-Harewood |
|
Reference Te Tohutoro: |
25/1615511 |
|
Responsible Officer(s) Te Pou Matua: |
Gemma
Dioni - Principal Advisor Transportation Safety |
|
Accountable ELT Member Pouwhakarae: |
Brent Smith, General Manager City Infrastructure |
1. Purpose and Origin of the Report Te Pūtake Pūrongo
1.1 For the Waimāero Fendalton-Waimairi-Harewood Community Board to approve right turn phases from Grahams Road, Greers Road and Ilam Road on to Memorial Avenue from the southern approaches to each intersection.
1.2 The report has been written in response to requests to help ease congestion caused by the nearby Ilam Wastewater renewal project, which is being delivered by Three Waters.
1.3 Only minor hardware changes are required to facilitate the phase changes at the Grahams Road/Memorial Avenue intersection and the Ilam Road/Memorial Avenue intersection, which includes changing the signal lanterns on the southern approaches.
1.4 At the Greers Road/Memorial Avenue intersection, staff are undertaking a full upgrade of the traffic signals. This includes underground cables, new signal poles and lanterns, as these critical assets are at the end of their working life and need to be replaced before a right turn phase can be introduced.
1.5 Staff will also be making some minor safety improvements at the Greers Road/Memorial Avenue intersection for people walking and crossing. This will be through the introduction of pedestrian protection (red arrow displays to hold back turning traffic while pedestrians are using the crossings), and new kerb cutdowns to align with new pole locations and road markings. This will provide increased separation between crossings.
2. Officer Recommendations Ngā Tūtohu
That the Waimāero Fendalton-Waimairi-Harewood Community Board:
1. Receives the information in the Memorial Avenue Intersections Report.
2. Notes that the decision in this report is assessed as low significance based on the Christchurch City Council’s Significance and Engagement Policy.
3. Approves, pursuant to Section 331 and 334 of the Local Government Act 1974:
a. All kerb alignments and road markings changes on Memorial Avenue and Greers Road as detailed in Attachment A of this report.
b. The installation of hardware to facilitate traffic signal control of the right movement from Greers Road (south) into Memorial Avenue.
c. The installation of hardware to facilitate traffic signal control of the right movement from Grahams Road (south) into Memorial Avenue.
d. The installation of hardware to facilitate traffic signal control of the right movement from Ilam Road (south) into Memorial Avenue.
4. Notes that staff will review the operation of the intersections following completion of the Ilam wastewater renewal project to determine whether the right turn phases from the southern approaches should be retained.
3. Executive Summary Te Whakarāpopoto Matua
3.1 The Three Waters team at Council has been delivering the Ilam wastewater renewal project since September last year. While this work is essential to keep the wastewater network operational, it has put some pressure on the local road network. The signal upgrades outlined in this report aim to keep traffic flowing through the wider area while these works are in place.
3.2 At the Memorial Avenue/Grahams Road intersection and the Memorial Avenue/Ilam Road intersection, it is proposed to change the signal lanterns to provide a right turn phase. At the Memorial Avenue/Greers Road intersection, a full upgrade of the traffic signals is required.
4. Background/Context Te Horopaki
4.1 Traffic signal lanterns are to be changed at the intersection of Memorial Avenue/Grahams Road intersection and Memorial Avenue/Ilam Road intersection to facilitate a right turn phase from the southern approaches.
4.2 A full upgrade of the traffic signals is required at the Memorial Avenue/Greers Road intersection as these critical assets are at the end of their working life. There is therefore an opportunity to include minor improvements as part of the work to address concerns raised in the Burnside High School and Christ the King School Travel Plans by students who cross at this intersection. These improvements include:
4.2.1 Altering the kerb cut downs to provide separation between the crossing points.
4.2.2 Introducing pedestrian protection (red arrow displays to hold back turning traffic while pedestrians are using the crossings).
4.2.3 Implementing tactile paving.
Options Considered Ngā Kōwhiringa Whaiwhakaaro
4.3 The following reasonably practicable options were considered and are assessed in this report:
4.3.1 Introduce right turn green arrows on the southern approaches of Grahams Road, Ilam Road and Greers Road at the intersections with Memorial Avenue.
4.3.2 Do nothing
Options Descriptions Ngā Kōwhiringa
4.4 Preferred Option: Introduce right turn green arrows on the southern approaches of Grahams Road, Ilam Road and Greers Road at the intersections with Memorial Avenue.
4.4.1 Option advantages
· Improve the ability for drivers to turn right from the southern approach.
· At the Memorial Avenue/Greers Road intersection:
· Provide separation between the crossing points.
· Introduce pedestrian protection.
· Implement tactile paving.
4.4.2 Option disadvantages
· Cost to Council
· Potential impact on intersection efficiency, as the phasing changes are likely to introduce additional delay to movements on other intersection approaches.
4.5 Option 2: Do nothing
4.5.1 Option description: Do nothing
4.5.2 Option advantages
· No cost to Council
4.5.3 Option disadvantages
· Does not improve the ability for drivers to turn right from the southern approaches.
· At the Memorial Avenue/Greers Road intersection:
· Does not provide separation between the crossing points.
· Does not introduce pedestrian protection.
· Does not implement tactile paving.
5. Financial Implications Ngā Hīraunga Rauemi
Capex/Opex Ngā Utu Whakahaere
|
|
Recommended Option |
Option 2 |
|
Cost to Implement |
$700k |
$0 |
|
Maintenance/Ongoing Costs |
To be covered under the Traffic Signals Maintenance contract. Would reduce the cost of maintenance in the medium-term due to new assets being provided. |
$0 |
|
Funding Source |
#37293 Delivery Package - Traffic Signals Renewals |
$0 |
|
Funding Availability |
Funding available in the above-named budget. |
$0 |
|
Impact on Rates |
None |
$0 |
5.1 The cost are high-level estimates and are not tendered prices.
5.2 The traffic signals require renewal at the Greers Road/Memorial Avenue site, as the cables are at the end of their working life. As part of the traffic signal renewal, it is proposed to undertake further improvements.
6. Considerations Ngā Whai Whakaaro
Risks and Mitigations Ngā Mōrearea me ngā Whakamātautau
6.1 There is a risk that people may continue to feel unsafe while crossing at the Greers Road/Memorial Avenue intersection if the proposed changes are not approved. Completing this work alongside the traffic signal renewal project reduces cost and risk to Council and impact on the local community.
Legal Considerations Ngā Hīraunga ā-Ture
6.2 Statutory and/or delegated authority to undertake proposals in the report:
Local Government Act 1974
6.2.1 Section 331 provides authority to approve concept plans for forming or upgrading footpath, kerbs and channels.
6.2.2 The installation of any signs and/or markings associated with traffic control devices must comply with the Land Transport Rule: Traffic Control Devices 2004.
6.3 Other Legal Implications:
6.3.1 There is no other legal context, issue, or implication relevant to this decision.
6.3.2 This specific report has not been reviewed and approved by the Legal Services Unit however the report has been written using a general approach previously approved of by the Legal Services Unit, and the recommendations are consistent with the policy and legislative framework outlined in this report.
Strategy and Policy Considerations Te Whai Kaupapa here
6.4 The required decision:
6.4.1 Aligns with the Christchurch City Council’s Strategic Framework and Community Outcomes. Improving the safety of our roads aligns with the Strategic Priorities and Community Outcomes, in particular to be an inclusive and equitable city; build trust and confidence by listening to and working with our residents; and providing safe crossing points for people who walk and improved cycle infrastructure, will contribute to a green, liveable city, where our neighbourhoods and communities are accessible and well-connected.
6.4.2 Is assessed as low significance based on the Christchurch City Council’s Significance and Engagement Policy. The level of significance was determined by the low level of impact and low number of people affected by the recommended decision.
6.4.3 The recommended option is consistent with the Council’s Plans and Policies, in particular:
· LTP Activity Plan - Level of Service target to reduce the number of deaths or serious injuries (DSI) from all crashes by 40% in 2030.
· The changes made align with the safe and healthy streets for everyone goal in the draft Ōtautahi Christchurch Future Transport Strategy 2024-2054.
· Improving safety on local roads is a priority for the Council.
6.5 This report supports the Council's Long Term Plan (2024 - 2034):
6.6 Transport
6.6.1 Activity: Transport
· Level of Service: 10.0.6.1 Reduce the number of death and serious injury crashes on the local road network (DIA 1) - 4 less than previous FY
· Level of Service: 10.0.6.2 Reduce the number of death and serious injury crashes on the local road network - Five year rolling average <95 crashes per year
· Level of Service: 10.5.1 Limit deaths and serious injury crashes per capita for cyclists and pedestrians - <=12 crashes per 100,000 residents
Community Impacts and Views Ngā Mariu ā-Hāpori
6.8 The decision affects the following wards/Community Board areas:
6.8.1 Waimāero Fendalton-Waimairi-Harewood Community Board
Impact on Mana Whenua Ngā Whai Take Mana Whenua
6.10 The decision does not involve a matter of interest to Mana Whenua and will not impact on our agreed partnership priorities with Ngā Papatipu Rūnanga.
Climate Change Impact Considerations Ngā Whai Whakaaro mā te Āhuarangi
6.12 This is a minor proposal that is principally intended to improve accessibility and safety for people crossing at the intersection.
7. Next Steps Ngā Mahinga ā-muri
7.1 If approved, staff will proceed with construction.
Attachments Ngā Tāpirihanga
There are no attachments to this report.
In addition to the attached documents, the following background information is available:
|
Document Name – Location / File Link |
|
Not applicable
|
Signatories Ngā Kaiwaitohu
|
Authors |
Gemma Dioni - Principal Advisor Transportation - Safety Lachlan Beban - Principal Advisor Transportation Signals |
|
Approved By |
Jann Kuhlmann - Team Leader Real Time Operations Stephen Wright - Manager Operations (Transport) |
|
Reference Te Tohutoro: |
25/1635129 |
|
Responsible Officer(s) Te Pou Matua: |
Natalie Dally, Community Development Advisor |
|
Accountable ELT Member Pouwhakarae: |
Andrew Rutledge, General Manager Citizens and Community |
1. Purpose and Origin of the Report Te Pūtake Pūrongo
1.1 The purpose of this report is to inform the Waimāero Fendalton-Waimairi-Harewood Community Board on the progress of the Englefield Nature Play Space Renewal project.
1.2 The Waimāero Fendalton-Waimairi-Harewood Community Board granted $20,000 from its Better-Off Fund towards a Community Development /Partnership project in Englefield Reserve. This became the Renewal of the Englefield Nature Play Space.
2. Officer Recommendations Ngā Tūtohu
That the Waimāero Fendalton-Waimairi-Harewood Community Board:
1. Receives the information in the Englefield Reserve Nature Play Space Renewal Report.
3. Background/Context Te Horopaki
3.1 Due to some trees having to be cut down for safety reasons in Englefield Reserve, the Waimāero Fendalton-Waimairi-Harewood Community Board wanted to support the community to rebuild a community space there. The current area designated as a Nature Play Space needed rejuvenating and its renewal became this community project.
3.2 The project is being facilitated by the Council’s Community Development Advisor for the area, and a Community Advisory Group made up of representatives from Northwood and Belfast Residents Associations, Belfast Community Network, Pūtahi Belfast School and the Styx Living Laboratory Trust. Belfast Rugby Club was invited to participate and were kept informed.

3.3 An independent Nature Play Consultant from Woodland Escape has been engaged along with relevant Council staff. The Community Advisory Group had an onsite engagement session with the consultant and came up with some initial ideas. Further engagement sessions included:
· A local afterschool group with an onsite engagement session.
· Pūtahi Belfast School had an engagement session at school with student leaders.
3.4 An initial draft design concept was then developed and presented to the Council’s Team Leader of Parks and Recreation Planning, and the Team Leader of Biodiveristy, for their feedback, input and approval to proceed.

3.5 The draft design was posted on the social media pages of the groups involved (including the Community Board) and a quick survey developed for those who wanted to give feedback on the design. A letterbox drop was delivered to approximately 400 homes in close proximity to the Reserve with an invitation to provide feedback. From this, nine additional responses were received. The responses were supportive with only minor suggested changes to the concept plan. The Council’s Team Leader of Parks and Recreation Planning approved the project to proceed.
3.6 An onsite pop-up event is being planned, under the guidance of the consultant and with support from the Community Advisory Group, for the wider community. This will help to activate the space and inform the final placement of any fixed items in the Nature Play design.
3.7 The Styx Living Laboratory Trust are working on signage for the community to engage with the area, in consultation with the school and supported by the Council Play Advocate.
3.8 The space is expected to be fully operational by the end of November 2025. An opening event will be organised around this time. Members of the Community and Pūtahi Belfast School will be invited to become guardians of the space. The school intend to make the space a place to visit as part of their learnings and activities.
4. Considerations Ngā Whai Whakaaro
4.1 The final design is unchanged from the version that went out for consultation but the community interactive pop-up event will allow for adjustments to the final placement of any fixed items and additional items may be added as budget allows.
4.2 Final
Community Design Guide for Englefield Nature Play Space, on site at Englefield
Reserve
Attachments Ngā Tāpirihanga
|
No. |
Title |
Reference |
Page |
|
a ⇩ |
Englefield Reserve Nature Play Space - Consultation draft design and engagement information. |
25/1635605 |
99 |
In addition to the attached documents, the following background information is available:
|
Document Name – Location / File Link |
|
Not applicable |
Signatories Ngā Kaiwaitohu
|
Author |
Natalie Dally - Community Development Advisor |
|
Approved By |
Maryanne Lomax - Manager Community Governance, Fendalton-Waimairi-Harewood |
1. Purpose and Origin of the Report Te Pūtake Pūrongo
1.1 The purpose of this report is for the Waimāero Fendalton-Waimairi-Harewood Community Board to consider an application for funding from its 2025-26 Discretionary Response Fund from the organisation listed below.
|
Funding Request Number |
Organisation |
Project Name |
Amount Requested |
Amount Recommended |
|
DRF 25/26_00016 |
Avonhead Community Trust
|
Community Expo |
$1,748 |
$1,748 |
1.2 There is currently a balance of $121,758 remaining in the fund.
2. Officer Recommendations Ngā Tūtohu
That the Waimāero Fendalton-Waimairi-Harewood Community Board:
1. Receives the information in the Fendalton-Waimairi-Harewood 2025-2026 Discretionary Response Fund Application Avonhead Community Trust Report.
2. Notes that the decision in this report are assessed as low significance based on the Christchurch City Council’s Significance and Engagement Policy.
3. Approves a grant of $1,748 from its 2025-26 Discretionary Response Fund to Avonhead Community Trust towards a Community Expo.
3. Key Points Ngā Take Matua
Strategic Alignment Te Rautaki Tīaroaro
3.1 The recommendation above is aligned with the Council's Strategic Framework and in particular the strategic priority of being an inclusive and equitable city. The project also aligns with the Strengthening Communities Together Strategy.
3.2 The recommendations are consistent with the Strengthening Communities Together Strategy.
Decision Making Authority Te Mana Whakatau
3.3 The Community Board has the delegated authority to determine the allocation of the Discretionary Response Fund for each community.
3.3.1 Allocations must be consistent with any Council-adopted policies, standards or criteria.
3.3.2 The Fund does not cover:
· Legal or environmental court challenges against the Council, Council Controlled Organisations, or Community Board decisions.
· Projects or initiatives that change the scope of a Council project or lead to ongoing operational costs to the Council (though Community Boards can recommend to the Council that it consider a grant for this purpose).
Assessment of Significance and Engagement Te Aromatawai Whakahirahira
3.4 The decision in this report is assessed as low significance based on the Christchurch City Council’s Significance and Engagement Policy.
3.5 The significance level was determined by the number of people affected and/or with an interest.
3.6 Due to the assessment of low significance, no further community engagement and consultation is required.
Discussion Kōrerorero
3.7 At the time of writing, the balance of the 2025-26 Discretionary Response Fund is:
|
Total Budget Current Year |
Granted To Date |
Available for allocation |
Balance If Staff Recommendation adopted |
|
$165,508 |
$43,750 |
$121,758 |
$120,010 |
3.8 Based on the current Discretionary Response Fund criteria, the application above is eligible for funding.
3.9 The attached Decision Matrix provides detailed information for the applications. This includes organisational details, project details, financial information, and a staff assessment.
Attachments Ngā Tāpirihanga
|
No. |
Title |
Reference |
Page |
|
a ⇩ |
Fendalton-Waimairi-Harewood 2025-26 DRF - Avonhead Community Trust Decision Matrix |
25/1695830 |
106 |
Signatories Ngā Kaiwaitohu
|
Author |
Karen Boag - Community Development Advisor |
|
Approved By |
Maryanne Lomax - Manager Community Governance, Fendalton-Waimairi-Harewood |
1. Purpose of Origin of the Report Te Pūtake Pūrongo
1.1 This report provides the Board with an overview of initiatives and issues current within the Community Board area.
1.2 This report is staff-generated monthly.
2. Officer Recommendations Ngā Tūtohu
That the Waimāero Fendalton-Waimairi-Harewood Community Board:
1. Receives the information in the Waimāero Fendalton-Waimairi-Harewood Community Board Area Report - September 2025.
3. Community Support, Governance and Partnership Activity
3.1 Community Governance Projects
3.1.1 Fendalton-Waimairi-Harewood Community Liaison Meeting - August 2025
There was another great turn-out for our August community networking meeting with approximately 30 people attending. Our guest speaker was Wayne Hamilton from Fire and Emergency New Zealand. Wayne is a Senior Advisor on Community Readiness and Recovery within the Canterbury District Team. He shared a presentation about planning and the built environment. He spoke about the four R’s of emergency management, Risk reduction, Readiness, Response and Relief. He shared a picture of the water map they use to access water supplies. They need a minimum standard of 12.5 litres a second which is 750 litres every minute.
When testing fire alarms, groups should ring FENZ to advise them it’s just a test, this should be a standard procedure. Wheelie bins were mentioned as a special hazard and FENZ will also come and install smoke alarms free of charge. Their pamphlet on low flammability plants was also popular with the group.
Our community highlight was Brooke Agnew from the Papanui Baptist Freedom Trust sharing their journey with their social supermarket project, Kai Connect. This was launched in October 2024 after Brooke looked into making their food bank more efficient and effective. Instead of giving out food parcels they set up a mini supermarket.
People sign up to the project and get to choose what they like (within reason). This type of food bank is a really good way to start relationships with the organisation and between each other. They also have tables and chairs out for people to have coffee and cake and a chat and people turn up to socialise even if they are not getting any food.
Twenty-five people who have come through Kai Connect have joined other Freedom Trust Groups and they have had extremely positive feedback from participants. It has resulted in many connections being formed, between neighbours and the team are collaborating on a street party for one of the streets that some of the participants come from.

3.1.2 Ilam Stream Restoration Completed at Avonhead and Crosbie Parks
The plantings along the banks of the Ilam Stream through Avonhead Park and Crosbie Park have now been completed, marking a significant milestone in efforts to “bring our stream back to life.”
The Network of Ilam Stream (NOTIS) has long championed the enhancement of the stream and its surroundings, consulting with neighbours, local groups, sports clubs, businesses, and Christchurch City Council. Their advocacy, which began 20-plus years ago and included presentations to the Community Board in 2019 and a submission to the Long-Term Plan in 2021, led to the commissioning of a feasibility assessment and the development of a comprehensive planting programme. NOTIS also notes that maintaining a continual flow in the stream is vital for native fauna, ensuring the ecological health of the waterway alongside the completed riparian planting.
Contractors have now planted approximately 500 metres of riparian margin at Crosbie Park and completed infill planting across 350 metres of stream bank, completed last year at Avonhead Park. Riparian planting plays a vital role in stabilising banks, preventing erosion, filtering stormwater, improving water quality, and supporting native wildlife.
Alongside this work, the Friends of Crosbie Park held their annual community planting day on 15 July. Around 150 plants were added to the waterway with the help of local volunteers, including representatives from NOTIS, St Mark’s Church and Community Centre, and more than thirty students from Te Pārīto Kōwhai Russley School. It was wonderful to see community members of different ages and generations working side by side, strengthening both the park’s natural habitat and the community spirit. Their next event will be a working bee at 9.30 am on 9 September.
Together, these efforts mark the completion of a major phase of stream restoration, leaving a lasting legacy of healthier waterways and stronger community connections.

3.2 Community Funding Summary
3.2.1 A status report on the Board’s 2025-26 Discretionary Response Fund and Youth Development Fund as at 20 August 2025 is attached (refer to Attachment A).
3.2.2
Nomads United AFC - Garage Door
Please see below feedback from the Club regarding the Discretionary Response Fund allocation for their garage door:
“Thank you to the Christchurch City Council for supporting our club with funding for a new garage door on our storage room - a vital space that holds equipment, first aid supplies, and laundry facilities for our 1,000+ members. The upgrade has greatly improved access, safety, and efficiency for our volunteers and coaches. Your support has helped us maintain a high standard of service without adding financial pressure to our members during a challenging time for community organisations. We’ll be sharing this project with our members via social media and other channels to highlight the great work the Council is doing in supporting grassroots sport.”
3.2.3 Nomads United AFC – Mini Kickers is Indoors this Winter!
Please see below feedback from the Club regarding the funding allocation towards their Mini Kickers programme:
“We are incredibly grateful to Christchurch City Council for their generous support in helping us launch our new Mini Kickers indoor programme at the Bishopdale Recreation Centre during the colder months.
Mini Kickers is the perfect introduction to the fun world of football for our youngest players, and thanks to CCC’s funding, we’ve been able to move the programme indoors - ensuring warm, dry, and safe sessions every week.
The programme encourages parents to participate alongside their budding footballers, building connection and confidence through shared play. Each session focuses on a core football skill—striking the ball, dribbling, goal scoring—while always keeping the number one priority front and centre: having fun.
There’s also dedicated time for free play and self-guided discovery, with equipment set up to let kids (and parents!) explore and enjoy the game in their own way.
We were committed to making this programme as accessible as possible, and with CCC’s funding support, we’ve been able to keep the cost down to just $40 for four sessions. This has made a real difference in allowing more families to join in and enjoy this positive early football experience.
Thank you again to CCC for supporting quality, affordable football opportunities for our community!”

3.3 Participation in and Contribution to Decision Making
3.3.1 Report back on other Activities contributing to Community Board Plan
· The final monitoring report for the Board’s 2022-25 Board Plan was included in the July 2025 Area Report. The Board will begin working on their new Board Plan following the elections in October.
3.3.2 Council Engagement and Consultation
· There are currently no consultations open for projects in the Waimāero Fendalton-Waimairi-Harewood area.
· A full list of open consultations city-wide is available at https://letstalk.ccc.govt.nz/
4. Advice Provided to the Community Board Ngā Kupu Tohutohu ka hoatu ki te Poari Hapori
4.1 Customer Service Request Report - Hybris monthly report for July 2025 attached, providing an overview of the number of Customer Service Requests that have been received, including the types of requests being received and a breakdown of how they are being reported (refer to Attachment B).
4.2 SWN - Wairarapa Stream - Channel enhancement, planning and reinstatement (circulated 12 August 2025)
4.3 SWN - Glandovey Road - emergency watermain renewal (circulated 14 August 2025)
4.4 SWN - Harewood/Gardiners/Breens intersection - investigation work (circulated 15 August 2025)
4.5 SWN - Investigation work for Harewood School - signalised crossing and pedestrian safety improvements (circulated 18 August 2025)
4.6 SWN – Greers/Memorial intersection traffic signal upgrade investigations (circulated 21 August 2025)
4.7 Memo – Radcliffe Road Corridor Improvements – Public Consultation (refer to Attachment C)
Attachments Ngā Tāpirihanga
|
No. |
Title |
Reference |
Page |
|
a ⇩ |
Fendalton-Waimairi-Harewood Funding Update - September 2025 |
25/1679875 |
112 |
|
b ⇩ |
Fendalton-Waimairi-Harewood Hybris Ticket Report - July 2025 |
25/1679876 |
113 |
|
c ⇩ |
Memo - Radcliffe Road Corridor Improvements - Public Consultation |
25/1708751 |
114 |
Signatories Ngā Kaiwaitohu
|
Author |
Maryanne Lomax - Manager Community Governance, Fendalton-Waimairi-Harewood |
|
Approved By |
Matthew McLintock - Manager Community Governance Team John Filsell - Head of Community Support and Partnerships |
|
18. Elected Members’ Information Exchange Te Whakawhiti Whakaaro o Te Kāhui Amorangi |
This item provides an opportunity for Board Members to update each other on recent events and/or issues of relevance and interest to the Board.
Karakia Whakamutunga
|
Unuhia, unuhia Unuhia ki te uru tapu nui Kia wātea, kia māmā, te ngākau, Te tinana te wairua i te ara takatā Koia rā e Rongo, whakairia ake ki runga Kia tina! TINA! Hui e! TĀIKI E! |
Draw on, draw on, |
Actions Register Ngā Mahinga
When decisions are made at meetings, these are assigned to staff as actions to implement. The following lists detail any actions from this meeting that were:
· Open at the time the agenda was generated.
· Closed since the last ordinary meeting agenda was generated.
Open Actions Ngā Mahinga Tuwhera
No open actions were remaining at the time the agenda was generated.
Actions Closed Since the Last Meeting Ngā Mahinga kua Tutuki nō Tērā Hui
No actions were closed since the last ordinary meeting.